direct naar inhoud van Toelichting
Plan: Heikantstraat 32 - Someren
Status: vastgesteld
Plantype: bestemmingsplan
IMRO-idn: NL.IMRO.0847.BP02019008-VS01

Toelichting

Hoofdstuk 1 Inleiding

1.1 Aanleiding

In het buitengebied van Someren, ten zuidwesten van de kern Someren, ligt de Heikantstraat. De Heikantstraat vormt van oudsher een bebouwingslint, in het verleden gedomineerd door agrarische bedrijven. Afgelopen jaren heeft een aantal bedrijven hun agrarische activiteiten beëindigd. Daarmee is het aandeel burgerwoningen toegenomen. Ook is een aantal Ruimte voor Ruimte woningen gerealiseerd binnen het lint. Ter hoogte van het plangebied zijn de meeste locaties in gebruik als burgerwoning.

De locatie Heikantstraat 32 is eveneens bestemd als burgerwoning. Bij het pand zijn een aantal verouderde voormalig agrarische bedrijfsgebouwen aanwezig.
Bij initiatiefnemers bestaat de wens om bij de woning een aantal voorzieningen voor de recreatieve (hobbymatige) paardensport te creëren. Het betreft een rijbak (zonder verlichting) en longeercirkel (beiden in de buitenlucht) en stalruimte in één van de voormalige agrarische bedrijfsgebouwen. Daarbij zijn zij bereid een groot deel van de verouderde voormalige bedrijfsgebouwen te slopen.

Op basis van het vigerende bestemmingsplan "Buitengebied Someren" zijn de gronden deels bestemd als 'Wonen' en deels als 'Agrarisch met waarden - Landschappelijke waarden'. Realisatie van voorzieningen ten behoeve van hobbymatige paardensport is niet mogelijk binnen deze bestemming. Door een herziening van het bestemmingsplan (ex artikel 3.1 Wet ruimtelijke ordening (Wro) kan de bestemming gewijzigd worden, waarmee de beoogde ontwikkeling wel mogelijk wordt.

Voorliggend bestemmingsplan bestaat uit een verbeelding, regels en deze toelichting. De toelichting beschrijft onder meer de motivering van de ontwikkeling. Aan bod komen verder onder andere:

  • gebieds- en planbeschrijving;
  • toetsing aan het geldende beleid;
  • toetsing aan milieuwetgeving en andere ruimtelijke wetgeving met betrekking tot bestaande of potentiële belemmeringen in de omgeving van het plangebied (zoals bodemkwaliteit, luchtkwaliteit, geluidhinder, water, aanwezige leidingen, archeologische waarden en natuurlijke en landschappelijke aspecten);
  • haalbaarheid;
  • procedure.

1.2 Ligging van het plangebied

Het plangebied waarop dit bestemmingsplan betrekking heeft, is gelegen in het buitengebied van Someren en maakt deel uit van een bebouwingslint. De locatie ligt aan de zuidzijde van de Heikantstraat en grenst aan de wegzijde aan twee andere woonbestemmingen. Aan de achterzijde is onbebouwd agrarisch gebied gelegen.

Het plangebied heeft een oppervlakte van 3.578 m². Het totale perceel is kadastraal bekend als gemeente Someren, sectie R, nummer 484 en heeft een omvang van 13.780 m2.

afbeelding "i_NL.IMRO.0847.BP02019008-VS01_0001.png"

Luchtfoto met indicatie plangebied (bron: pdokviewer.pdok.nl)

1.3 Vigerend en nieuw bestemmingsplan

1.3.1 Bestemmingsplan Buitengebied

Voor het plangebied geldt momenteel het bestemmingsplan "Buitengebied Someren", dat op 16 mei 2011 door de gemeenteraad van Someren is vastgesteld. Daarnaast geldt "Buitengebied Someren, eerste partiële herziening", d.d. 25 september 2014 door de gemeenteraad vastgesteld en "Parapluplan NAF-beleid Someren", op 28 juni 2018 vastgesteld. Het plangebied heeft de enkelbestemmingen 'Wonen' en 'Agrarisch met waarden - Landschappelijke waarden'. De bestemming 'Wonen' is primair gericht op bewoning. Daarnaast zijn onder andere aan-huis-verbonden-beroepen toegestaan evenals parkeervoorzieningen en groene terreininrichting. De bestemming 'Agrarisch met waarden - Landschappelijke waarden' is hoofdzakelijk bedoeld voor al dan niet bedrijfsmatig agrarisch grondgebruik inclusief tijdelijke teeltondersteunende voorzieningen. Ook het behoud, herstel en/ of de ontwikkeling van landschappelijke waarden vormt één van de doeleinden van deze bestemming.

Op grond van de geldende bestemmingen is het bouwen van voorzieningen voor de hobbymatige paardensport niet mogelijk. Ook is een oppervlakte van 350 m2 bijgebouwen bij burgerwoningen niet rechtstreeks toegestaan. Een herziening van het bestemmingsplan is dan ook noodzakelijk.

In paragraaf 3.4.5 wordt nader ingegaan op de geldende bestemmingsplanregeling voor de locatie.

afbeelding "i_NL.IMRO.0847.BP02019008-VS01_0002.png"

Uitsnede verbeelding bestemmingsplan "Buitengebied Someren" (bron: www.ruimtelijkeplannen.nl)

1.3.2 Nieuw bestemmingsplan

In deze toelichting wordt de herziening van het vigerende bestemmingsplan onderbouwd en worden de mogelijkheden die het nieuwe bestemmingsplan gaat bieden, afgewogen. In de regels wordt een gedetailleerde regeling van de nieuwe bestemmingen gegeven en wordt vastgelegd wat de bouw- en gebruiksmogelijkheden van de gronden binnen het plangebied zijn. Op de verbeelding (plankaart) zijn de bestemmingen vastgelegd.

Het bestemmingsplan 'Heikantstraat 32 - Someren' is opgezet conform de eisen die de Wro en de gemeente Someren daaraan stellen. De regels zijn opgesteld conform de standaardregels SVBP2012, de verbeelding voldoet aan de meest actuele digitaliseringseisen conform IMRO2012. Bij de opzet en systematiek van het nieuwe bestemmingsplan wordt aangesloten bij de regeling zoals gebruikt bij het vigerende bestemmingsplannen 'Buitengebied Someren' en 'Buitengebied Someren, deelgebied 1' van de gemeente Someren.

Hoofdstuk 2 Planbeschrijving

2.1 Inleiding

Het plan richt zich op het mogelijk maken van het beoefenen van recreatieve (hobbymatige) paardensport aan de Heikantstraat 32 en het realiseren van enkele daartoe benodigde voorzieningen.

2.2 Gebiedsbeschrijving

Het plangebied is gelegen in het buitengebied van Someren en maakt deel uit van het bebouwingslint de Heikantstraat, ten zuidwesten van de bebouwde kom van Someren. De (agrarische) bedrijvigheid in dit lint heeft in de loop der jaren steeds meer terrein verloren aan de woonfunctie. Wel is van oudsher sprake van ruime percelen en deels nog, al dan niet voormalige of verouderde, agrarische bedrijfsbebouwing.

Gezien de omvang van de percelen en aanwezige bebouwing zijn de locaties in het lint in trek bij personen die hobbymatig wat meer ruimte nodig hebben. Het achterliggend onbebouwd agrarisch gebied maakt de locatie en meerdere percelen in de omgeving uitermate geschikt voor ontwikkelingen op het gebied van paardensport. Hierbij betreft het met name hobbymatige initiatieven, aangezien voor een bedrijfsmatig gebruik onvoldoende ruimte aanwezig is. Ook is het milieutechnisch minder voor de hand liggend bedrijfsmatige activiteiten te vestigen tussen een veelheid aan (burger-)woonfuncties.

afbeelding "i_NL.IMRO.0847.BP02019008-VS01_0003.png"

Aanzicht huidig gebruik en inrichting plangebied (bron: maps.google.nl)

Het plangebied heeft op dit moment diverse bebouwde en onderbouwde onderdelen in zich. De bebouwing wordt gevormd door de burgerwoning Heikantstraat 32 en 3 voormalige agrarische bedrijfsgebouwen (pluimveestallen). De woning dateert van 1957 en heeft een grondoppervlak van 216 m2 (excl. aan- en uitbouwen).

De 3 voormalige stallen zijn gebouwd omstreeks 1965 en hebben een omvang van circa 1.000 m2.

De onbebouwde gronden van het plangebied zijn momenteel in gebruik als tuin, erf en agrarische productiegrond. Een deel van deze gronden is verhard.

De huidige begroeiing binnen het plangebied bestaat uit gecultiveerde beplanting in de siertuin (met name ten oosten van de woning) en productiegewas op de agrarische gronden aan de zuidzijde van het plangebied. Dit gebruik strekt zich ook buiten het plangebied verder in zuidelijke richting uit. Ten oosten en westen van het plangebied zijn burgerwoningen gelegen. Aan de voorzijde begrenst de Heikantstraat het perceel.

De verdere omgeving van het plangebied wordt met name gedomineerd door agrarische productiegronden en burgerwoningen. Op zo'n 120 meter ten zuiden van het plangebied is een bestaande intensieve veehouderij gelegen. Ten noorden van de Heikantstraat is de bestemming 'Groen' toegekend en verder in noordoostelijke richting zijn visvijvers gelegen. De agrarische productiegronden in de omgeving worden hier en daar begrensd door groene landschapselementen, zoals houtwallen of bomenrijen. Bij de woningen is merendeels sprake van ruime percelen, die ook voor een belangrijk deel groen zijn ingericht.

2.3 Planbeschrijving

Uitgangspunt voor de locatie is de woning als burgerwoning te blijven gebruiken en enkele faciliteiten te realiseren ten behoeve van de recreatieve paardensport. Hiertoe is het voornemen van initiatiefnemers om het voormalig bedrijfsgebouw dat het dichtst bij de woning ligt in te richten als paardenstal (stallen en bijbehorende voorzieningen). Dit gebouw heeft een oppervlakte van 24 x 11 = 264 m2. De overige stallen, met een omvang van 726 m2 worden geheel gesloopt. Direct ten westen van de te behouden stal wordt een longeerbak aangelegd met een diameter van 16 meter. Achter de longeerbak en stal is voorzien in een buitenrijbak van 800 m2 voor hobbymatig gebruik. Bij de rijbak is geen verlichting voorzien. Met de longeercirkel en buitenrijbak beschikken initiatiefnemers over de faciliteiten om gedurende een groot deel van het jaar paarden te kunnen trainen. Alleen bij zeer slechte weersomstandigheden (zoals vorst) zal gebruik gemaakt moeten worden van een locatie elders. Op de locatie zullen in de toekomst maximaal 5 paarden worden gehouden.
Het voornemen is op termijn ten zuidoosten van de woning een vrijstaande garage te bouwen (beoogde omvang 8 x 10,75 m). Dit voornemen past binnen de huidige bouwmogelijkheden van de bestemming 'Wonen' die ter plaatse geldt.

De overige gronden van het kadastrale perceel sectie R, nummer 484 zullen worden ingericht als tuin, erf en weiland voor de paarden.

Het gehele perceel wordt voorzien van een goede landschappelijke inpassing. Belangrijkste onderdelen hiervan zijn de omzoming van de gehele achterzijde van het perceel door een houtsingel en de sloop van een groot deel van de voormalige agrarische bebouwing. Voor een verdere toelichting op de inpassing wordt verwezen naar 4.15.

Planologisch juridisch wordt voor het bestemmingsvlak 'Wonen' een maximale omvang van bijgebouwen van 350 m2 vastgelegd.

Binnen de gemeente Someren is 100 m2 bijgebouwen bij burgerwoningen in het buitengebied de standaardmaat. Wanneer een bijdrage geleverd wordt aan ontsteningsdoelstellingen door het slopen van oude (bedrijfs)gebouwen en/ of wanneer er van een agrarisch bedrijf wordt omgeschakeld naar burgerwoning, geldt een maximale oppervlakte van 250 m2. Buiten deze mogelijkheden biedt het gemeentelijk beleid met de sloopbonusregeling mogelijkheden om de oppervlakte bijgebouwen bij een woning op te plussen naar 350 m2.
Voor bebouwingsconcentraties, zoals aanwezig ter plaatse van de locatie Heikantstraat 32, geldt de verhouding 1 m2 bouwen in ruil voor 2 m2 slopen. Bij het verhogen van de oppervlakte bijgebouwen van 250 naar 350 m2 wordt 100 m2 toegevoegd. Hiertoe dient 200 m2 te worden gesloopt. Zoals eerder aangegeven vindt op de locatie sloop van 726 m2 voormalige agrarische bedrijfsgebouwen plaats. Hiervan wordt 200 m2 ingezet voor de toepassing van de sloopbonusregeling op eigen locatie. De overige 526 m2 worden ingebracht in de gemeentelijke sloopbank.
Voor alle bijgebouwen geldt dat de bouwhoogte maximaal 5,5 meter mag bedragen en de goothoogte maximaal 3 meter. Dit is vastgelegd in de planregels.

De rijbak wordt, overeenkomstig de systematiek van de gemeente Someren, geregeld middels een specifieke aanduiding. De longeerbak wordt gesitueerd aansluitend aan de woonbestemming, aan de achterzijde van de te slopen voormalige agrarische bebouwing. De woning, tuin en toekomstige garage zijn ook binnen de geldende bestemmingsplanregeling toegestaan. Ook het gebruik van de achterliggende gronden voor het weiden van paarden past binnen de geldende bestemming.

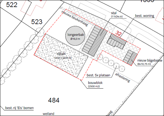
Onderstaande inrichtingstekening geeft een indicatie van de toekomstige inrichting van het perceel Heikantstraat 32.

afbeelding "i_NL.IMRO.0847.BP02019008-VS01_0004.png"

Beoogde nieuwe indeling en functies - bebouwing en faciliteiten (recreatieve) paardensport, (bron: Salemans Omgevingsontwikkeling en bouwbegeleiding) - voor de toekomstige landschappelijke inpassing wordt verwezen naar het separate inpassingsplan

Het perceel heeft vanuit het verleden 3 in- en uitritten op de Heikantstraat. Op het perceel is reeds voldoende ruimte aanwezig om auto's op eigen terrein te kunnen parkeren. Ook is er op eigen terrein voldoende manoeuvreerruimte voor een auto met aanhanger (paardentrailer).

2.4 Duurzaamheid

Duurzame ontwikkeling is te zien als een ontwikkelingsproces, waarbij gestreefd wordt naar het tot stand brengen van een duurzame samenleving. Dit gebeurt door in alle stadia van een planproces kansen en mogelijkheden te benutten voor het realiseren van een hoge ruimtelijke kwaliteit in combinatie met een zo laag mogelijke milieubelasting, en deze in de tijd weten te handhaven, zodat ook toekomstige generaties daarin delen. Ook de gemeente Someren heeft in haar beleidsdoelstellingen duurzaamheid opgenomen en wenst deze structureel in ontwikkelingsplannen op te nemen. In het planvoornemen wordt de gewenste duurzaamheid onder andere bereikt door meer open grond te creëren (verwijderen bebouwing) en door gebruik te maken van duurzame materialen. Een groot deel van de percelen is in de toekomst onbebouwd en onverhard, hetgeen een positieve bijdrage levert aan de mogelijkheden voor hemelwaterinfiltratie en klimaatdoelstellingen (tegengaan van een versnelde opwarming van het bebouwd gebied).

Hoofdstuk 3 Beleidskader

3.1 Inleiding

Gemeenten zijn niet geheel vrij in het voeren van hun eigen beleid. Rijk en provincies geven met het door hen gevoerde en vastgelegde beleid de kaders aan waarbinnen gemeenten kunnen opereren. Hierna worden in het kort de voornaamste zaken uit het voor het plangebied relevante nationale en provinciale beleid weergegeven, aangevuld met het van toepassing zijnde beleid van de gemeente Someren.

3.2 Rijksbeleid

3.2.1 Structuurvisie Infrastructuur en Ruimte

Op 13 maart 2012 is de Structuurvisie Infrastructuur en Ruimte (SVIR) vastgesteld. Deze nieuwe structuurvisie vervangt onder andere de Nota Ruimte en de Nota Mobiliteit.

De Structuurvisie Infrastructuur en Ruimte (SVIR) speelt in op de volgende ontwikkelingen en uitdagingen:

  • de veranderende behoefte aan wonen en werken;
  • de mobiliteit van personen;
  • economische positie tussen de tien meest concurrerende landen vasthouden voornamelijk in de sectoren logistiek, water, hightech, creatieve industrie, chemie en voedsel en tuinbouw;
  • de bijzondere waarden (compacte steden omringd door open en natuurrijk landelijk gebied, cultuurhistorie en natuur) koesteren en versterken;
  • waterveiligheid en beschikbaarheid van voldoende zoetwater in verband met de klimaatverandering en stedelijke ontwikkeling;
  • aandeel duurzame energiebronnen als wind, zon, biomassa en bodemenergie moet worden vergroot;
  • deregulering.

Om goed op deze ontwikkelingen en eisen in te spelen is een beleid nodig dat toekomstbestendig is en de gebruiker ruimte geeft. Dit vraagt een grondige actualisatie van de bestaande beleidsnota's voor ruimte en mobiliteit. De structuurvisie voorziet hierin door overheden, burgers en bedrijven de ruimte te geven om oplossingen te creëren. Het Rijk gaat zich meer richten op het versterken van de internationale positie van Nederland en het behartigen van belangen voor Nederland als geheel. Het Rijk ziet verder toe op de deregulering waarmee jaarlijks vele miljoenen euro's kunnen worden bespaard.

De provincies en gemeenten maken afspraken over verstedelijking, groene ruimte en landschap. Gemeenten krijgen ruimte voor kleinschalige natuurlijke groei en voor het bouwen van huizen die aansluiten bij de woonwensen van mensen. Het Rijk verbindt ruimtelijke ontwikkeling en mobiliteit en zet de gebruikers centraal. Het zijn bewoners, ondernemers en reizigers die Nederland sterk maken. Provincies en gemeenten krijgen de ruimte zelf maatwerk te leveren. Zo werkt het Rijk aan een concurrerend, bereikbaar, leefbaar en veilig Nederland.

Hiertoe zijn voor de middellange termijn (2028) drie doelen gesteld:

  • Het vergroten van de concurrentiekracht van Nederland door het versterken van de ruimtelijk-economische structuur van Nederland;
  • Het verbeteren en ruimtelijk zeker stellen van de bereikbaarheid waarbij de gebruiker voorop staat;
  • Het waarborgen van een leefbare en veilige omgeving waarin unieke natuurlijke en cultuurhistorische waarden behouden zijn.

Het Rijk benoemt 13 nationale belangen; hiervoor is het Rijk verantwoordelijk en wil het resultaten boeken. Deze belangen zijn gelijkwaardig aan elkaar en beïnvloeden elkaar onderling. In de SVIR is een eerste integrale afweging gemaakt van deze belangen. Dit heeft als gevolg dat het Rijk in gebieden of projecten een gebieds- of projectspecifieke afweging zal maken. Indien nodig, maakt het Rijk duidelijk welke nationale belangen voorgaan.

Onderhavig bestemmingsplan maakt voorzieningen ten behoeve van de recreatieve paardensport mogelijk op een bestaande bebouwde locatie in het buitengebied. Dit gaat gepaard met sloop van overtollige bebouwing. Daarnaast gaat het planvoornemen gepaard met een goede ruimtelijke en landschappelijke inpassing. De SVIR voorziet niet in onderwerpen die op het plangebied van toepassing zijn. Dit houdt in dat voor het planvoornemen geen beperkingen vanuit de SVIR gelden.

3.2.2 Besluit algemene regels ruimtelijke ordening

De SVIR (zie paragraaf 3.2.1) bepaalt welke kaderstellende uitspraken zodanig zijn, dat van hieruit beperkingen gesteld moeten worden aan de ruimtelijke besluitvormingsmogelijkheden op lokaal niveau. Het Besluit algemene regels ruimtelijke ordening (Barro) bevestigt in juridische zin die kaderstellende uitspraken. Met het Barro geeft het Rijk algemene regels voor bestemmingsplannen. Doel van dit Besluit is bepaalde onderwerpen uit de SVIR te verwezenlijken.

Door middel van het Barro worden voor een aantal specifieke onderwerpen algemene regels gesteld ten behoeve van de verwerking in bestemmingsplannen. In het SVIR is aangegeven wat het nationale belang is van het stellen van regels voor deze onderwerpen. Het Barro stelt in eerste instantie regels voor het project Mainportontwikkeling Rotterdam, het kustfundament, grote rivieren, de Waddenzee en het waddengebied, defensie en erfgoederen van uitzonderlijke universele waarde.

De algemene regels in het Barro hebben vooral een conserverend/ beschermend karakter waardoor geformuleerde nationale belangen niet bedreigd worden door ontwikkelingen die middels bestemmingsplannen mogelijk worden gemaakt. Voor een aantal onderwerpen geeft het Barro de opdracht dan wel de mogelijkheid aan provincies om bij provinciale verordening regels te stellen.

Onderhavig planvoornemen voorziet in een kleinschalige ingreep. Het Barro voorziet niet in onderwerpen die op het plangebied en voorgenomen initiatief van toepassing zijn. Dit houdt in dat voor het planvoornemen geen beperkingen vanuit de Barro gelden.

3.3 Provinciaal beleid

3.3.1 Structuurvisie ruimtelijke ordening

De Structuurvisie RO 2010 - partiële herziening 2014 (vastgesteld door Provinciale Staten d.d. 7 februari 2014 en inwerkingtreding d.d. 19 maart 2014) geeft de hoofdlijnen van het ruimtelijk beleid van de provincie Noord-Brabant weer tot en met 2025. Het beleid is gestoeld op een evenwicht van het milieu (planet), de mens (people) en de markt (profit) in ruimtelijke kwaliteit. Hierbij is het van groot belang om bestaande kwaliteiten te benutten en als uitgangspunt te nemen bij ontwikkelingen.

Noord-Brabant heeft de ambitie om een goede mix van wonen, werken en voorzieningen te creëren. De leefbaarheid in woonmilieus moet van voldoende kwaliteit zijn. Dynamische stadscentra, vitale plattelandskernen, eigen identiteit en regionale afstemming zijn enkele uitgangspunten. Daarnaast dienen er voldoende veilige en goed bereikbare werkplekken te zijn voor de bevolking. Steden moet aantrekkelijk blijven voor diverse bevolkingsgroepen en dienen garant te staan voor het aanbieden van (bovenlokale) voorzieningen.

Voor wat betreft de markt is het van belang dat de gunstige ligging wordt benut. De ligging ten opzichte van andere economische clusters in Europa is uitstekend. Met de (internationale) bereikbaarheid is het echter slechter gesteld. Dit vormt dan ook een belangrijk uitgangspunt van het provinciale beleid. Belangrijk is om netwerken te vormen, tussen de kennisindustrie, regionale economische clusters en Europese clusters. Daarnaast is veiligheid een belangrijk aspect. Goederenvervoer per spoor zal in de toekomst om stedelijke gebieden heen geleid moeten worden.

Het landschap van Noord-Brabant is vrij karakteristiek. Er zijn veel beeldbepalende elementen en natuurlijke waarden in het landschap te vinden. Deze dienen beschermd en ontwikkeld te worden. Met name het watersysteem is erg belangrijk. Het landschap heeft ook een functie als werkterrein, voornamelijk voor de agrarische sector. Schaalvergroting van deze landbouw wordt geconcentreerd in speciaal aangewezen gebieden. De landbouw komt daarnaast steeds vaker in een verbrede vorm voor. Dit wordt gestimuleerd, met name ook het landschapsbeheer.

Duurzaamheid is nog steeds een belangrijk onderwerp binnen de ruimtelijke ordening. Er moet op zoek gegaan worden naar alternatieve mogelijkheden om energie op te wekken. Zo kan gewerkt worden aan een gezondere leefomgeving.

Het plangebied is binnen de structuurvisie RO aangeduid als 'Robuust water- en natuursysteem'. De provincie wil hier met name ruimte bieden voor de verdere ontwikkeling en versterking van watersystemen en natuurwaarden.

afbeelding "i_NL.IMRO.0847.BP02019008-VS01_0005.png"

Uitsnede Structurenkaart Structuurvisie ruimtelijke ordening (bron: provincie Noord-Brabant)

Bij het planvoornemen is geen sprake van bestemmingswijzigingen. De bestemmingen 'Wonen' en 'Agrarisch met waarden' blijven van toepassing. Voor een deel van de gronden wordt de mogelijkheid gecreëerd om voorzieningen ten behoeve van recreatieve paardensport op te richten (stalruimte in bestaande bebouwing, buitenrijbak en longeerbak). Aangezien sprake is van een bestaande bebouwde locatie vormt het planvoornemen geen bedreiging voor watersystemen en natuurwaarden. Met de sloop van ruim 700 m2 voormalige bedrijfsgebouwen wordt een positieve bijdrage geleverd aan de omgevingskwaliteit. Ook leidt de inpassing (groenaanplant) tot versterking van de natuurlijke en landschappelijke waarden in het gebied. Het planvoornemen past dan ook binnen de beleidskaders van de structuurvisie.

3.3.2 Verordening ruimte Noord-Brabant

Een structuurvisie, zoals beschreven in de vorige paragraaf, is niet direct juridisch bindend voor burgers en overheden. Toch kan het in het kader van de ruimtelijke ordening van provinciaal belang zijn om bepaalde aspecten veilig te stellen. De provincie kan derhalve een Verordening ruimte opstellen. De provincie Noord-Brabant beschikt over een dergelijke verordening, die afgelopen jaren enkele malen is geactualiseerd. De meest recente, geldende versie van de verordening dateert van 31 juli 2018 (geconsolideerde versie). Deze verordening is de juridische vertaling van de structuurvisie en bevat derhalve onderwerpen die in de visie naar voren komen en de provincie van dusdanig groot belang acht, dat zij hier regels over wil stellen.

Het betreft onder andere de belangen die de provincie wil behartigen en de manier waarop dit zal gebeuren, evenals regels waarmee rekening gehouden moet worden bij het opstellen van een ruimtelijk plan. Deze regels zijn direct bindend voor overheden. Zo weten gemeenten al in een vroeg stadium waar ze aan toe zijn.

Het plangebied is op de kaart bij de verordening aangeduid als 'groenblauwe mantel'. Gebieden die als zodanig zijn aangeduid vormen de overgang tussen het Natuur Netwerk Brabant en het landelijk of stedelijk gebied. De groenblauwe mantel bestaat overwegend uit multifunctioneel landelijk gebied met grondgebonden landbouw.
Voor de gronden, aangewezen als groenblauwe mantel wordt ingezet op behoud en ontwikkeling van natuur, watersysteem en landschap. Voor de natuur ligt de nadruk op de versterking van leefgebieden voor planten- en diersoorten en bevordering van biodiversiteit.

Naast ontwikkeling van deze natuurlijke functies geeft de Verordening aan dat in de groenblauwe mantel ook ruimte wordt geboden voor de ontwikkeling van gebruiksfuncties zoals landbouw en recreatie, mits deze bijdragen aan de kwaliteiten van natuur, water en landschap: de 'ja-mits benadering' . De beoordeling of een ontwikkeling passend is in de groenblauwe mantel ligt in eerste instantie bij de gemeente.

Met het plan wordt het realiseren van voorzieningen voor de recreatieve paardensport mogelijk gemaakt bij een bestaande burgerwoning. Daarbij worden voormalige stallen afgebroken, waarmee een bijdrage wordt geleverd aan de kenmerkende openheid van het gebied. Ook vindt in het kader van de inpassing groenaanplant plaats. Door het realiseren van nieuwe groenstructuren ontstaan verschillende microklimaten in het gebied, en zal de biodiversiteit toenemen. Ook biedt een haag schuilgelegenheden voor vogels en andere diersoorten.

Binnen het plangebied worden geen nieuwe functies toegekend. Wel is sprake van verschuiving en het, middels een aanduiding, creëren van mogelijkheden. Vanuit de Verordening ruimte gelden een beperkt aantal regels voor dit type ontwikkelingen.

Het initiatief wordt onderstaand getoetst aan de relevante artikelen uit de verordening, zijnde artikel 3.1 Zorgplicht voor ruimtelijke kwaliteit, artikel 3.2 Kwaliteitsverbetering van het landschap en artikel 6.7 Wonen (groenblauwe mantel).

Artikel 3 Bevordering ruimtelijke kwaliteit

3.1 Zorgplicht voor ruimtelijke kwaliteit

  • 1. De toelichting bij een bestemmingsplan dat voorziet in een ruimtelijke ontwikkeling bevat een verantwoording dat:
    • a. het plan bijdraagt aan de zorg voor het behoud en de bevordering van de ruimtelijke kwaliteit van het daarbij betrokken gebied en de naaste omgeving, waaronder in ieder geval een goede landschappelijke inpasbaarheid;

Het plan voorziet in de sloop van voormalige agrarische bedrijfsgebouwen, waarmee een belangrijke kwaliteitswinst wordt bereikt. Daarnaast wordt voorzien in een zorgvuldige inpassing, waarmee de kwaliteit van het landschap wordt versterkt en biodiversiteit direct en indirect wordt vergroot.

    • a. toepassing is gegeven aan het principe van zorgvuldig ruimtegebruik;

Gebruik wordt gemaakt van een bestaande burgerwoning en bestaande (voormalige bedrijfs-)gebouwen. Een aanzienlijk deel van de voormalige veehouderijstallen wordt gesloopt. De gewenste recreatieve paardensportvoorzieningen worden zoveel als mogelijk geclusterd bij de bestaande, te behouden bebouwing.

  • 2. Het principe van zorgvuldig ruimtegebruik als bedoeld in het eerste lid houdt in ieder geval in dat:
    • a. een ruimtelijke ontwikkeling buiten bestaand stedelijk gebied gebruik maakt van een bestaand bouwperceel, tenzij in deze verordening uitdrukkelijk anders is bepaald;

Gebruik wordt gemaakt van een bestaande bebouwing en voormalige agrarische bedrijfsbebouwing.

    • a. uitbreiding van het op grond van het geldende bestemmingsplan toegestane ruimtebeslag slechts is toegestaan mits de financiële, juridische of feitelijke mogelijkheden ontbreken om de beoogde ruimtelijke ontwikkeling binnen dat toegestane ruimtebeslag te doen plaatsvinden;

De woning is reeds bestaand en bestemd als 'Wonen' in het vigerend bestemmingsplan. De voormalige agrarische bebouwing valt in dit plan onder het overgangsrecht, en is daarmee planologisch-juridisch toegelaten. In voorliggend plan worden de bebouwingsmogelijkheden op de gronden beperkt en wordt middels een specifieke regeling vastgelegd dat een rijbak zonder verlichting (bouwwerk, geen gebouw zijnde) ten behoeve van de recreatieve paardensport is toegelaten. Deze wordt in maatvoering exact begrensd om aanvullende bouwmogelijkheden in het aangeduide gebied te voorkomen.

    • a. ingeval van stedelijke ontwikkeling toepassing is gegeven aan artikel 3.1.6, tweede lid, van het Besluit ruimtelijke ordening (ladder voor duurzame verstedelijking);

Bij de ontwikkeling wordt een bestaande burgerwoning als zodanig behouden, voormalige agrarische bedrijfsgebouwen gesloopt en enkele voorzieningen voor hobbymatige paardenhouderij gerealiseerd. Hiermee is geen sprake van een stedelijke ontwikkeling en is de Ladder niet van toepassing.

    • a. een bestemmingsplan buiten bestaand stedelijk gebied bepaalt dat gebouwen, bijbehorende bouwwerken en andere permanente voorzieningen binnen het bouwperceel worden opgericht en daarbinnen worden geconcentreerd;

In de Verordening is een bouwperceel gedefinieerd als 'aaneengesloten (virtueel) vlak waarop functioneel bij elkaar behorende bebouwing en voorzieningen worden geconcentreerd, bestaande uit een bouwvlak, waarbinnen de gebouwen zijn toegelaten, met de direct daaraan grenzende gronden waar ook bouwwerken geen gebouwen zijnde en vergunningvrije bouwwerken zijn toegestaan'. Aan de Heikantstraat 32 is sprake van een (burger)woonfunctie, die ook in voorliggend plan als 'Wonen' wordt bestemd. De regeling voor de woning wijzigt in die zin niet. Daarnaast is op dit moment sprake van voormalige agrarische bedrijfsgebouwen die vallen onder het overgangsrecht van het geldende plan. Daarmee zijn ook deze gebouwen juridisch-planologisch geregeld. In de nieuwe situatie is sprake van een woonfunctie en een specifieke aanduiding voor een deel van het agrarisch gebied; 'rijbak' ten behoeve van de realisatie van een buitenrijbak zonder verlichting. De maximale maatvoering hiervan is vastgelegd in de planregels. Tezamen vormen deze gronden het bouwperceel.

    • a. in geval er sprake is van de vestiging van een ruimtelijke ontwikkeling als bedoeld onder a. is gelijktijdig met de vestiging ook uitbreiding mogelijk tot de omvang die op grond van de regels in deze verordening is toegelaten.

Binnen voorliggend plan is geen sprake van (nieuw)vestiging. Deze bepaling is dan ook niet van toepassing.

  • 3. Ten behoeve van het behoud en de bevordering van de ruimtelijke kwaliteit bevat de toelichting bij een bestemmingsplan als bedoeld in het eerste lid een verantwoording waaruit blijkt dat:
    • a. in het bestemmingsplan rekening is gehouden met de gevolgen van de beoogde ruimtelijke ontwikkeling voor de in het plan begrepen gronden en de naaste omgeving, in het bijzonder wat betreft de bodemkwaliteit, de waterhuishouding, de in de grond aanwezige of te verwachten monumenten, de cultuurhistorische waarden, de ecologische waarden, de aardkundige waarden en de landschappelijke waarden;

Verwezen wordt naar Hoofdstuk 4 van dit plan voor een onderbouwing van bovengenoemde aspecten.

    • a. de omvang van de beoogde ruimtelijke ontwikkeling, de omvang van de bebouwing en de beoogde functie, past in de omgeving gelet op de bestaande en toekomstige functies in de omgeving en de effecten die de ontwikkeling op die functies heeft, waaronder de effecten vanwege milieuaspecten en volksgezondheid;

De locatie is gelegen in een bebouwingslint waar de agrarische bedrijvigheid in de loop der jaren is afgenomen. Het gebied wordt gedomineerd door burgerwoningen en onbebouwde agrarische gronden. Het beoogde gebruik als burgerwoning met voorzieningen voor de recreatieve paardensport past dan ook in deze omgeving. Het terugkeren van een bedrijfsmatige agrarische (veehouderij-)functie is op de locatie niet gewenst. Door de sloop van bedrijfsgebouwen wordt een positieve bijdrage geleverd aan de kenmerkende openheid van het landschap ter plaatse.

In Hoofdstuk 4 worden de relevante milieu- en onderzoeksaspecten van dit initiatief behandeld.

    • a. een op de beoogde ruimtelijke ontwikkeling afgestemde afwikkeling van het personen- en goederenvervoer is verzekerd, waaronder een goede aansluiting op de aanwezige infrastructuur van weg, water of spoor, inclusief openbaar vervoer, een en ander onder onverminderd hetgeen in hoofdstuk 7 van de Wet milieubeheer en elders in deze verordening is bepaald.

De locatie wordt ontsloten via de doorgaande Heikantstraat. In het verleden vormde deze weg de ontsluiting van zowel de woning Heikantstraat 32 als het agrarisch bedrijf in de voormalige bedrijfsgebouwen. In de nieuwe situatie wordt de locatie uitsluitend nog gebruikt als burgerwoning met enkele voorzieningen voor de recreatieve paardensport. De verkeersbewegingen van en naar de locatie zijn hiermee (fors) minder dan het aantal transporten in het verleden. Daarbij zal het aandeel zware transporten ook aanzienlijk verminderen. De ontsluiting is dan ook toegerust voor de gewenste functie.

  • 4. Het eerste tot en met derde lid is niet van toepassing op een uitwerking van een bestemmingsplan, mits dat niet ouder is dan tien jaar, als bedoeld in artikel 3.6, eerste lid, onder b, van de wet.

Er is geen sprake van een uitwerkingsplan ex artikel 3.6 Wro.

3.2 Kwaliteitsverbetering van het landschap

  • 1. Een bestemmingsplan dat een ruimtelijke ontwikkeling buiten bestaand stedelijk gebied mogelijk maakt, bepaalt dat die ruimtelijke ontwikkeling gepaard gaat met een fysieke verbetering van de aanwezige of potentiële kwaliteiten van bodem, water, natuur, landschap, cultuurhistorie of van de extensieve recreatieve mogelijkheden van het gebied of de omgeving;
  • 2. De toelichting bij een bestemmingsplan als bedoeld in het eerste lid bevat een verantwoording:
    • a. van de wijze waarop de in het eerste lid bedoelde verbetering financieel, juridisch en feitelijk is geborgd;
    • b. dat de in het eerste lid bedoelde verbetering past binnen de hoofdlijnen van het te voeren ruimtelijk beleid voor dat gebied.
  • 3. De in het eerste lid bedoelde verbetering kan mede betreffen:
    • a. de landschappelijke inpassing van bebouwing, voor zover expliciet vereist op grond van deze verordening;
    • b. het toevoegen, versterken of herstellen van landschapselementen die een bijdrage leveren aan de versterking van de landschapsstructuur of de relatie stad-land;
    • c. activiteiten, gericht op behoud of herstel van cultuurhistorisch waardevolle bebouwing of terreinen;
    • d. het wegnemen van verharding;
    • e. het slopen van bebouwing;
    • f. een fysieke bijdrage aan de realisering van het Natuur Netwerk Brabant en ecologische verbindingszones.
  • 4. Indien een kwaliteitsverbetering als bedoeld in het eerste lid niet is verzekerd, wordt het bestemmingsplan slechts vastgesteld indien een passende financiële bijdrage in een landschapsfonds is verzekerd en wordt over de werking van dat fonds regelmatig verslag gedaan in het regionaal ruimtelijk overleg.
  • 5. In afwijking van het bepaalde in dit artikel kan de toelichting van een bestemmingsplan een verantwoording bevatten over de wijze waarop de afspraken over de kwaliteitsverbetering van het landschap, die zijn gemaakt in het regionaal ruimtelijk overleg, bedoeld in artikel 39.4, onder b, worden nagekomen.
  • 6. Het eerste tot en met vijfde lid is niet van toepassing op een uitwerking van een bestemmingsplan, mits dat niet ouder is dan tien jaar, als bedoeld in artikel 3.6, eerste lid, onder b, van de wet.

Het planvoornemen gaat vergezeld van de sloop van zo'n 726 m2 voormalige agrarische bedrijfsgebouwen. Ook wordt de locatie landschappelijk ingepast, waartoe nieuw groen wordt aangeplant. Met de afname van de oppervlakte bedrijfsgebouwen worden de mogelijkheden van hemelwaterinfiltratie in het gebied vergroot, waardoor een positieve bijdrage wordt geleverd aan het (grond)watersysteem. In paragraaf 4.15 is een nadere motivering van bovenstaande aspecten, specifiek voor voorliggend plan, opgenomen.

6.7 Wonen

  • 1. Een bestemmingsplan dat is gelegen in de groenblauwe mantel bepaalt dat:
    • a. alleen bestaande burgerwoningen, bedrijfswoningen of solitaire recreatiewoningen zijn toegestaan;
    • b. zelfstandige bewoning van bedrijfsgebouwen, al dan niet solitaire recreatiewoningen en andere niet voor bewoning bestemde gebouwen is uitgesloten.
  • 2. In afwijking van het eerste lid kan een bestemmingsplan voorzien in de nieuwbouw van ten hoogste één bedrijfswoning ten behoeve van een op grond van deze verordening toegelaten bedrijf binnen het bij dat bedrijf behorende bouwperceel mits de toelichting een verantwoording bevat waaruit blijkt dat:
    • a. de noodzaak vanwege de aard van de bedrijfsvoering aanwezig is;
    • b. de noodzaak van deze nieuwbouw niet het gevolg is van een eerder aanwezige, inmiddels afgestoten bedrijfswoning.
  • 3. In afwijking van het eerste lid kan een bestemmingsplan voorzien in:
    • a. de bouw van een woning ter vervanging van een bestaande woning binnen het daartoe aangewezen bouwperceel, mits is verzekerd dat:
      • de bestaande woning feitelijk wordt opgeheven;
      • overtollige bebouwing wordt gesloopt.
    • b. de vestiging van of de splitsing in meerdere woonfuncties in cultuurhistorisch waardevolle bebouwing indien dit is gericht op het behoud of herstel van deze bebouwing, waarbij artikel 3.1, tweede lid, onder a (verbod op nieuwvestiging) niet van toepassing is.
  • 4. In afwijking van het eerste lid kan een bestemmingsplan voorzien in het gebruik van een burgerwoning als bedrijfswoning, mits de woning binnen het bouwperceel van het bedrijf wordt gebracht en daarmee een ruimtelijke eenheid vormt.
  • 5. In afwijking van het eerste lid en artikel 3.1, tweede lid, onder a (verbod op nieuwvestiging) kan een bestemmingsplan als bedoeld in het eerste lid voorzien in het gebruik van een voormalige bedrijfswoning als burgerwoning, mits is verzekerd dat:
    • a. er geen splitsing in meerdere woonfuncties plaatsvindt;
    • b. overtollige bebouwing wordt gesloopt; c. de vestiging van andere functies is uitgesloten in het geval er sprake is van afsplitsing van een voormalige bedrijfswoning.
  • 6. Een bestemmingsplan als bedoeld in het eerste lid kan voorzien in een éénmalige vergroting van de inhoud van een solitaire recreatiewoning met ten hoogste 10 % van de op grond van het per 1 maart 2011 geldende bestemmingsplan toegelaten inhoud.

Binnen het plangebied is reeds één bestaande burgerwoning aanwezig. Deze wordt als zodanig gehandhaafd. Nu geen sprake is van een nieuwe woning of afwijkende maatvoeringen leggen de regels uit de Verordening ruimte geen verdere randvoorwaarden op.

Op grond van het voorgaande mag worden geconcludeerd dat het planvoornemen aansluit bij het beleid en de regels, zoals verwoord in de provinciale Verordening ruimte Noord-Brabant.

3.3.3 Interim omgevingsverordening

In het kader van de aanstaande omgevingswet (1 januari 2021) heet de provincie als eerste stap een Interim omgevingsverordening vastgesteld (25 oktober 2019). In deze Interim omgevingsverordening zijn de bestaande verordeningen samengevoegd en vervangt de Provinciale milieuverordening, Verordening natuurbescherming, Verordening Ontgrondingen, Verordening ruimte, Verordening water en Verordening wegen.

De Interim omgevingsverordening is beleidsneutraal van karakter. Dat betekent dat er geen nieuwe beleidswijzigingen zijn doorgevoerd, behalve als deze voortvloeien uit vastgesteld beleid, zoals de omgevingsvisie. In principe zijn de huidige regels gehandhaafd met het huidige beschermingsniveau.

De beleidsneutrale omzetting betekent niet dat er helemaal geen wijzigingen ten opzichte van de huidige verordeningen zijn verwerkt. In het Nu-Straks overzicht zijn deze wijzigingen schematisch toegelicht. Hieruit blijkt dat dit geen consequenties zijn voor het planvoornemen anders dan benoemd in paragraaf 3.3.2. De artikelen 3.1, 3.2 en 6.7 zoals hierin omschreven zijn ongewijzigd omgezet in de artikelen 3.5/3.6, 3.9 en 3.68/3.69. De conclusies zijn daarmee ook niet anders.

3.4 Gemeentelijk beleid

3.4.1 Beeldkwaliteitsplan Buitengebied 2011

Met dit beeldkwaliteitsplan voor het buitengebied wil de gemeente Someren ideeën aandragen voor mogelijke ontwikkelingen in het buitengebied. Het plan is derhalve geen blauwdruk, maar dient als inspiratiebron voor nieuwe initiatieven. In dat opzicht kan het beeldkwaliteitsplan worden beschouwd als aanvulling op een bestemmingsplan, dat voorschrijft wat kan en mag. In het beeldkwaliteitsplan zijn ontwerprichtlijnen opgenomen die bij aanvang van de ontwikkeling van een planinitiatief kunnen worden meegenomen om op een passende wijze invulling te geven aan in een bestemmingsplan opgenomen randvoorwaarden ten aanzien van bijvoorbeeld een goede landschappelijke inpassing.

Het plangebied behoort qua landschapstype tot de oudere heideontginningen. Voor elk van de onderscheiden gebiedstypen worden richtlijnen gegeven met betrekking tot de structuur en inrichting van het landschap, de inpassing en inrichting van kavels en de bebouwing. In een streefbeeld wordt een perspectief gegeven voor de inrichting van het landelijk gebied, dat als inspiratiebron wordt gebruikt voor integrale landschapsontwikkeling op structuurniveau.

afbeelding "i_NL.IMRO.0847.BP02019008-VS01_0006.png"

Uitsnede Beeldkwaliteitsplan Buitengebied 2011 (bron: gemeente Someren)

Voorliggend plan ziet op sloop van voormalige agrarische bedrijfsgebouwen en realisatie van enkele voorzieningen ten behoeve van hobbymatige paardenhouderij.

De landschappelijk inpassing van de nieuwe situatie vindt plaats conform de in het streefbeeld voor de oudere heideontginningen genoemde richtlijnen voor beplanting. Daarbij wordt de omvang van de inpassing afgestemd op de aard van het initiatief. In de terreininrichting wordt gebruik gemaakt van hagen en houtsingels. Bij alle aan te planten soorten in de inpassing betreft het inheemse en gebiedseigen soorten. De aan te leggen beplanting zorgt niet alleen voor een landschappelijke inpassing, maar ook voor een passende overgang naar omliggende kavels en het achterliggende buitengebied.

Verwezen wordt naar paragraaf 4.15 en Bijlage 8 voor de uitwerking van het inpassingsplan.

3.4.2 Structuurvisie Someren 2028

Onderhavig bestemmingsplan maakt onderdeel uit van het buitengebied van de gemeente Someren. Voor dit buitengebied is een structuurvisie opgesteld met als doel 'het verbeteren van de ruimtelijke kwaliteit van het buitengebied'. De Structuurvisie Someren 2028 is door de gemeenteraad vastgesteld op 24 april 2013.

Het doel van de structuurvisie is om sectorale visies, waaronder het Beeldkwaliteitsplan Buitengebied (zie 3.4.1) met elkaar te verbinden en om ze in onderlinge samenhang tot uitvoering te brengen; alleen dan is er sprake van duurzame integrale kwaliteitswinst in het buitengebied.

De gemeente Someren ziet haar buitengebied als een belangrijke kwaliteit. Initiatieven die hier plaatsvinden dienen een positieve bijdrage te leveren aan de ontwikkeling van het gebied.

In de structuurvisie is geen specifiek beleid opgenomen voor hobbymatige activiteiten bij woningen of voor de paardensport.

Voor het buitengebied wordt in algemeenheid gesteld dat ingezet wordt op behoud en waar mogelijk versterking van natuur en landschap. In het buitengebied wordt, aldus de Structuurvisie, voorrang gegeven aan boeren, burgers en buitenlui (recreanten) boven overige bedrijfsactiviteiten. Deze doelgroepen bevorderen het streven naar kwaliteiten handhaven en versterken.

Over de leefbaarheid van het buitengebied wordt opgemerkt dat de wens bestaat om te komen tot een vitaal buitengebied. Door de geformuleerde beleidslijnen is de verwachting dat het Somerense buitengebied vitaal van karakter blijft. Hierbij wordt een transformatie voorzien van een agrarisch getint buitengebied, naar een buitengebied waar natuur- en landschapsontwikkeling, toerisme, wonen en duurzame (intensieve) veehouderij in goede samenhang gesitueerd zijn, met daarbij respect voor elkaars belangen. De gemeente is zich bewust dat stilstand achteruitgang betekent. Taak is dan ook hierin regie te voeren.

De sloop van verouderde stallen en landschappelijke inpassing die onderdeel uitmaken van voorliggend plan, zorgen voor een versterking van landschapswaarden en indirect een versterking van natuurwaarden. Het plan maakt het voor initiatiefnemers, burgers, mogelijk faciliteiten te realiseren voor hun hobby, een hobby die in de kern niet passend is. Wonen met een hobbymatige paardenhouderij past geheel binnen de aard van het transformerend buitengebied.
Omdat ook de gemeente de kansen van dergelijke locaties ziet, heeft zij regie gevoerd en ingestemd met het initiatief.

3.4.3 NAF-beleid

De gemeente Someren heeft een beleid opgesteld voor niet-agrarische functies (NAF) in het buitengebied, met maatregelen ter stimulering van de sloop van voormalige agrarische bedrijfsgebouwen. Het doel hiervan is het creëren van een aantrekkelijk, groen en landelijk buitengebied dat in combinatie met een vitale dorpskern ervoor zorgt dat aan iedere inwoner en bezoeker een prettige fysieke en sociale leefomgeving wordt geboden.

De gemeente wil uitbreidingsruimte toekennen aan ontwikkelingen die bijdragen aan de doelstelling. Daarnaast worden maatregelen ingevoerd, die de sloop van voormalige agrarische bedrijfsgebouwen moeten stimuleren. Op deze manier kan de leegstand van voormalige agrarische bedrijfsgebouwen geminimaliseerd worden.

De gemeente heeft tevens als voornemen om functies als zorg en maatschappelijke en recreatieve voorzieningen toe te staan in het buitengebied, mits deze bijdragen aan een leefbaar buitengebied en passen binnen het streven van verbrede landbouw. Het is belangrijk dat deze functies de bestaande agrarische en agrarisch verwante bedrijven niet belemmeren.

Het NAF-beleid is inmiddels verankerd in het bestemmingsplan 'Parapluplan NAF-beleid Someren' (vastgesteld 28 juni 2018).

Het planvoornemen betreft de sloop van agrarische bedrijfsgebouwen en realisatie van enkele voorzieningen ten behoeve van de recreatieve paardensport. Vrijkomende stallen worden ten behoeve van het plan merendeels gesloopt en in beperkte mate hergebruikt als paardenstal. Hiermee wordt invulling gegeven aan de sloop en het hergebruik van voormalige agrarische bebouwing, zij het ten behoeve van hobbymatig gebruik. Ontwikkeling van maatschappelijke of recreatieve voorzieningen (voor algemeen gebruik) is hier niet aan de orde.

3.4.4 Landschapsinvesteringsregeling Gemeente Someren 2018

De Landschapsinvesteringsregeling Gemeente Someren 2018 is een vooraf vastgelegd kader, hoe gemeentebreed wordt omgegaan met de Landschapsinvesteringsregel (LIR), die zijn basis vindt in het provinciaal beleid. Artikel 3.2 van de Verordening ruimte Noord-Brabant verplicht een bijdrage aan de verbetering van de kwaliteit van het landschap bij ruimtelijke ontwikkelingen in het buitengebied.

In de LIR wordt onderscheid gemaakt in 3 categorieën, afhankelijk van hun impact op de omgeving en het landschap. In onderhavige situatie is sprake van vergroting van het bestemmingsvlak van de bestemming 'Wonen' door het opnemen van een gedeelte van de voormalige bedrijfsruimte (als stalruimte) binnen het bestemmingsvlak. Het bestemmingsvlak wordt daarmee vergroot met 1.300 m2 ten opzichte van het vigerende bestemmingsplan. Uitgaande van een waardevermeerdering van € 60,--/m2 is dit een waardevermeerdering van € 78.000,--. Hiervan dient 20%, zijnde € 15.600,--, geïnvesteerd te worden in een kwaliteitsverbetering op de locatie.

Deze kwaliteitsverbetering op de locatie wordt bereikt door sloop van een groot deel van de voormalige agrarische bebouwing (2 stallen), verwijderen van verharding en het planologisch vastleggen van de landschappelijke inpassing op de locatie, waardoor het behoud en beheer van de beplanting veilig wordt gesteld. De beoogde kwaliteitsverbetering is financieel uit te drukken in:

Berekening kwaliteitsberekening  
  Aantal/eenheid   Prijs/eenheid   Totaal  
Sloopkosten        
Sloop voormalige bedrijfsbebouwing   726 m2   € 25,00/m2   € 18.150,00  
Verwijderen verharding   0 m2   € 5,00/m2   € 0,00  
Totaal sloopkosten       € 18.150,00  
       
Onderhoud en beheer landschappelijke inpassing        
Snoeien bomen   13 stuks   € 10,00/stuk   € 130,00  
Snoeien bosplantsoen   540 stuks   € 1,00/stuk   € 540,00  
Snoeien hagen   115 m'   € 2,50/m'   € 287,50  
Totaal snoeien per jaar       € 957,50  
Totaal snoeien na 10 jaar   10 jaar   €957,50/jaar   € 9.575,00  

De kwaliteitsverbetering is daarmee financieel uit te drukken in een totaal bedrag van € 27.725,--. De kwaliteitsverbetering voldoet hiermee ruim aan de verplichting (€ 27.725,-- versus € 15.600,--).

In paragraaf 4.15 is de beoogde landschappelijke inpassing nader omschreven.

3.4.5 Bestemmingsplan

Voor het plangebied geldt het bestemmingsplan "Buitengebied Someren" (vastgesteld 16 mei 2011). Na dit plan zijn met de volgende herzieningen gedeeltelijke wijzigingen doorgevoerd aan de planregels: 1e en 2e partiële herziening, Plattelandswoningen Someren en Parapluplan NAF-beleid Someren.

Voor het plangebied gelden de volgende bestemmingen en aanduidingen:

  • Enkelbestemming 'Wonen'
  • Enkelbestemming 'Agrarisch met waarden - Landschappelijke waarden'
  • Dubbelbestemming Waarde - Archeologie
  • Functieaanduiding specifieke vorm van waarde - visueel waardevol; openheid
  • Gebiedsaanduiding overig: bebouwingsconcentratie
  • Gebiedsaanduiding reconstructiewetzone - verwevingsgebied

De bestemming 'Wonen' is toegekend aan de burgerwoningen in het buitengebied en primair gericht op bewoning. Daarnaast zijn onder andere aan-huis-verbonden-beroepen toegestaan evenals parkeervoorzieningen en groene terreininrichting. De bouwregels laten binnen deze bestemming onder meer woningen met een maximale omvang van 750 m3 en bijbehorende bouwwerken toe. De bestemming 'Agrarisch met waarden - Landschappelijke waarden' is hoofdzakelijk bedoeld voor al dan niet bedrijfsmatig agrarisch grondgebruik inclusief tijdelijke teeltondersteunende voorzieningen. Ook het behoud, herstel en/ of de ontwikkeling van landschappelijke waarden vormt één van de doeleinden van deze bestemming. Binnen deze bestemming zijn geen gebouwen en slechts een beperkt aantal bouwwerken, geen gebouwen zijnde toegelaten.

De toegekende dubbelbestemming 'Waarde - Archeologie' beschermt eventueel aanwezige archeologische waarden. In het plan is een koppeling aanwezig met het gemeentelijk archeologisch beleidskader. Het beschermingsregime neemt toe, naarmate de verwachtingswaarde stijgt. Voor bouwen en andere vormen van grondroering geldt op grond van deze regels een beperking.

De functieaanduiding 'specifieke vorm van waarde - visueel waardevol; openheid' is opgenomen om het specifieke open karakter van bepaalde delen van het buitengebied van Someren te behouden, herstellen en/ of ontwikkelen. Ook de gronden waar momenteel circa 1.000 m2 bedrijfsgebouwen aanwezig zijn, zijn aangeduid als 'openheid'. Met de sloop van 726 m2 bebouwing wordt een belangrijke bijdrage geleverd aan het daadwerkelijk bereiken van deze openheid.

Voor de gronden, tevens aangeduid als 'bebouwingsconcentratie' is in artikel 35.1 bepaald dat zij tevens zijn aangewezen als zoekgebied voor ruimte voor ruimte woningen. Deze aanduiding heeft op voorliggend plan dan ook geen impact.

De gebiedsaanduiding reconstructiewetzone - verwevingsgebied is opgenomen vanuit de Reconstructiewetgeving. Deze wet en de daaruit voortvloeiende beleidskaders zijn inmiddels ingetrokken. De verwevingsgebieden waren oorspronkelijk gericht op ontwikkeling van een vitaal platteland met zowel agrarische als niet-agrarische functies. Met name aan bestaande agrarische bedrijven in deze gebieden werden toekomst- (en uitbreidings-)mogelijkheden toegekend, indien sprake was van een 'duurzame locaties'. Bij het bepalen of een locatie als duurzaam kon worden aangemerkt, waren vooral omliggende functies bepalend. In gebieden met veel burgerwoningen en/ of veel natuurwaarden, werd (en wordt) ontwikkeling van agrarische bedrijven niet wenselijk geacht. De omgeving van het plangebied wordt gedomineerd door burgerwoningen, waardoor in dit gebied geen sprake van duurzame locaties. Herontwikkeling van voormalige agrarische bedrijfslocaties voor overige functies ligt dan ook voor de hand.

Met het plan wordt een burgerwoning hergebruikt en wordt de buitenruimte benut voor hobbymatig gebruik dat in de stedelijke omgeving niet passend is. Met de vestiging van een nieuw huishouden wordt een bijdrage geleverd aan de leefbaarheid (werken, onderwijs, winkelen, recreëren).

Hoewel het reconstructiebeleid sec niet meer van kracht is, zijn de beleidsdoelstellingen door vertaald in andere beleidskaders. Geconcludeerd kan worden dat het planvoornemen een positieve bijdrage levert aan de beleidsdoelstellingen.

Op grond van de geldende bestemmingen is het bouwen van voorzieningen voor de recreatieve paardensport niet mogelijk. Een herziening van het bestemmingsplan is dan ook noodzakelijk.

Hoofdstuk 4 Sectorale aspecten

4.1 Algemeen

Milieubeleid is steeds meer verweven in andere beleidsvelden. Koppeling tussen milieubeleid en andere beleidsterreinen is dan ook een belangrijk uitgangspunt. Ook in de ruimtelijke planvorming is structureel aandacht voor milieudoelstellingen nodig. De milieudoelstellingen worden daartoe integraal en vanaf een zo vroeg mogelijk stadium in het planvormingsproces meegewogen.

In dit hoofdstuk wordt de realisatie van de beoogde ontwikkeling getoetst aan de diverse milieutechnische en overige onderzoeksaspecten.

4.2 Bodemkwaliteit

Uitgangspunt van een goede ruimtelijke ordening is dat de bodemkwaliteit geschikt is voor de beoogde bestemming en de daarin toegestane gebruiksvormen. Dit betekent dat het aspect bodemkwaliteit voor vrijwel alle nieuwe ontwikkelingen die met ruimtelijke plannen mogelijk worden gemaakt, onderzocht moet worden. Voor de locatie is een verkennend bodemonderzoek beschikbaar (Bodemonderzoek Heikantstraat 32 te Someren. Witteveen + Bos, 21 juli 2005).

Uit het onderzoek is gebleken dat sprake is van ernstige bodemverontreiniging. Om de verontreiniging door het gebruik van zinkassen te verwijderen, wordt aanbevolen de semi-verharding en verontreinigde bodem te saneren.

De sanering is uitgevoerd en naar aanleiding daarvan is op 3 maart 2008 een Beschikking ingevolge artikel 13 en 14 Besluit Uniforme Saneringen (BUS) afgegeven (provincie Noord-Brabant, code AB/0847/00031). Uit de beschikking blijkt dat de locatie is gesaneerd voor de functie wonen met siertuin. Met de uitgevoerde sanering is door het bevoegd gezag ingestemd.

In maart 2019 heeft aanvullend een asbestonderzoek ter plaatse van de druppelzone plaatsgevonden (Indicatief asbestonderzoek aan de Heikantstraat 32 te Someren, Aelmans Eco BV - 5 maart 2019/ 14 augustus 2019). Tijdens de uitvoering van dit onderzoek zijn in het maaiveld of de uitkomende grond geen specifieke asbestverdachte materialen aangetroffen. Er zijn tien inspectiegaten geplaatst in de drup-zone van de stallen op de locatie. De grondmengmonsters van de grond uit deze inspectiegaten zijn geanalyseerd. De analyseresultaten van beide grondmengmonsters wijzen uit dat in de fijne fractie ter plaatse van de drup-zone concentraties asbest wordt aangetroffen van ruim 5.000 mg/kg ds. De hypothese verdacht op asbest wordt hiermee bevestigd.

Het bevoegd gezag zal moeten beoordelen of een nader asbestonderzoek doelmatig is, met name nu sprake is van een drup-zone, waar normaal gesproken slechts in een strook van circa 1,0 meter breed tot een diepte van circa 20 - 50 centimeter asbest aanwezig is.

Aangezien sprake is van een concentraties asbest van boven de 100 mg/kg ds is, ondanks de hoeveelheid, sprake van een ernstig geval van bodemverontreiniging in het kader van de Wet bodembescherming.

Inmiddels is de bodemverontreiniging gesaneerd. Hiervoor is melding gedaan bij de omgevingsdienst Zuidoost-Brabantdat de sanering is afgerond op 17 oktober 2019 en een BUS-evaluatie (Milieutechnisch Adviesbureau Heel, referentie 0126RAI/19/R2, 28 oktober 2019) opgesteld.

Aangezien voor de overige gronden geen sprake is van een bestemmingswijziging, is in het kader van deze procedure geen bodemonderzoek noodzakelijk. Indien voor het overige bouwplannen ontstaan op de locatie zal, afhankelijk van de voorgenomen ontwikkeling (al dan niet met verblijfsruimte), een verkennend bodemonderzoek NEN5740 uitgevoerd worden. Deze verplichting ontstaat voor elke aanvrager, op grond van de Woningwet en het Besluit omgevingsrecht.

De volledige onderzoeksrapporten/besluiten zijn als Bijlage 2, Bijlage 3, Bijlage 4, Bijlage 5 en Bijlage 6 bij deze toelichting opgenomen.

 

4.3 Geluid

4.3.1 Wet geluidhinder

Ten aanzien van geluid zijn de regels uit de Wet geluidhinder (Wgh) van toepassing. De Wgh voorziet rond (gezoneerde) industrieterreinen, langs wegen en langs spoorwegen in zones en bevat tevens geluidsnormen en richtlijnen met betrekking tot de toelaatbare geluidsniveaus van de voorgenoemde geluidsbronnen. Indien een bestemmingsplan een geluidsgevoelig object mogelijk maakt binnen een geluidszone van een bestaande geluidsbron, of indien het plan een nieuwe geluidsbron mogelijk maakt, dient volgens de Wgh een akoestisch onderzoek plaats te vinden bij het voorbereiden van de vaststelling van het bestemmingsplan.

4.3.2 Wegverkeerslawaai en industrielawaai

In artikel 74 van de Wet geluidhinder is bepaald welke wegen zoneplichtig zijn en welke omvang een zone van de betreffende weg heeft. Indien men voornemens is nieuwe woningen of andere geluidsgevoelige gebouwen te realiseren binnen een dergelijke zone, dient een akoestisch onderzoek te worden uitgevoerd waaruit blijkt dat aan de hoogst toelaatbare geluidsbelasting op de gevel, als opgenomen in de Wet geluidhinder c.q. het Besluit geluidhinder, kan worden voldaan. Een weg is niet zoneplichtig indien deze is gelegen binnen een woonerf of indien er sprake is van een maximum snelheid van 30 kilometer per uur.

Binnen het plangebied is één woning opgenomen. Zowel in de huidige regeling als in de voorgenomen regeling is deze bestemd als 'Wonen'. De overige beoogde voorzieningen zijn in de Wet geluidhinder niet aangewezen als geluidsgevoelige objecten.

Nu geen nieuwe geluidsgevoelige functie wordt toegevoegd, is een nader akoestisch onderzoek niet noodzakelijk.

4.4 Luchtkwaliteit

De zogenaamde 'Wet luchtkwaliteit' is in hoofdstuk 5 van de Wet milieubeheer (Wm) opgenomen. In hoofdstuk 5 Wm wordt toetsing van besluiten aan luchtkwaliteitsnormen in beginsel beperkt tot activiteiten die de luchtkwaliteit 'in betekenende mate' beïnvloeden. Uitsluitend ontwikkelingen en besluiten die 'in betekenende mate' van invloed zijn op de kwaliteit van de buitenlucht worden expliciet getoetst. Bij wetswijziging is verder bepaald dat bij of krachtens algemene maatregel van bestuur regels kunnen worden gesteld omtrent het in betekenende mate bijdragen, waaronder het aanwijzen van categorieën van gevallen die in ieder geval niet in betekenende mate bijdragen. Het Besluit niet in betekenende mate (verder: Besluit NIBM) voorziet hierin.

Voor projecten die de hoeveelheid fijn stof en stikstofdioxide in de lucht met maximaal 3% verhogen hoeven geen aanvullende maatregelen getroffen te worden. Het project draagt dan niet in betekende mate (NIBM) bij aan de luchtverontreiniging. Dit houdt in dat de ontwikkeling op basis van het besluit luchtkwaliteit niet in betekende mate bijdraagt aan aantasting van de luchtkwaliteit.

Voorliggende plan betreft een (bestaande) burgerwoning en enkele voorzieningen ten behoeve van de recreatieve paardensport.

Wanneer gekeken wordt naar de ondergrenzen uit het Besluit NIBM wordt hierin onder meer de realisatie van 1 ontsluitingsweg en 1.500 nieuwe woningen als ondergrens gehanteerd. Gezien de zeer beperkte inhoud van het plan kan worden geconstateerd dat voor de voorgenomen ontwikkeling het aspect luchtkwaliteit niet nader hoeft te worden onderzocht.

4.5 Geur

Op 1 januari 2007 is de Wet geurhinder en veehouderij (Wgv) in werking getreden. In deze wet zijn normen opgenomen die moeten worden gehanteerd bij de verlening van een milieuvergunning aan een agrarisch bedrijf waarin vee wordt gehouden. Echter ook in de omgekeerde situatie, waarbij in de omgeving van agrarische bedrijven een nieuw geurgevoelig object wordt gesitueerd of uitgebreid, dient aan de wet te worden getoetst (de zogenoemde 'omgekeerde werking').

Het initiatief aan de Heikantstraat 32 is getoetst op de wet- en regelgeving voor het aspect geur.

Zowel in de huidige als in de toekomstige situatie is er op de locatie Heikantstraat 32 geen sprake van een agrarisch bedrijf of andere bedrijfsmatige activiteiten met vee. Het gebruik is hobbymatig en het aantal paarden blijft beperkt tot maximaal 5.
Er is dan ook geen sprake van een (agrarische) bedrijfsactiviteit, waarvan de geurinvloed/ -hinder op de omgeving bepaald dient te worden.

Zowel in de huidige als in de toekomstige situatie is de locatie bestemd als 'Wonen'. Er is en blijft één burgerwoning aanwezig op het perceel. Het object Heikantstraat 32 geldt dan ook reeds jarenlang als (geur)gevoelige functie.
In het verdere verleden is vanuit de locatie wel een agrarisch bedrijf met vee geëxploiteerd. Gezien deze historie valt de locatie op grond van de Wet geurhinder en veehouderij onder de artikel 14-regeling. Voor de woning geldt, voor de voorgrondbelasting, dan ook een vaste toetsafstand van 50 meter voor geur vanuit omliggende veehouderijbedrijven.

Nu geen nieuw geurgevoelig object wordt mogelijk gemaakt met voorliggend plan, is een nader onderzoek niet noodzakelijk.

Wel kan uit de bestemmingsplannen voor het aangrenzend gebied (bestemmingsplan "Buitengebied" en bestemmingsplan "Heikantstraat/Dellerweg/Ruiter 2010") worden afgeleid, dat zich binnen 50 meter van de locatie geen agrarische bedrijven, en dus ook geen veehouderijen bevinden. Daarmee wordt voldaan aan de wettelijke afstand voor de voorgrondbelasting.


Uit de kaart 'Achtergrondbelasting geur 2018 (correctie luchtwassers) - gemeente Someren' wordt duidelijk dat het woon- en leefklimaat ter plaatse van het plangebied wordt beoordeeld als 'redelijk goed' (ter plaatse van de woning en voorzijde bedrijfsgebouwen) tot matig (achterzijde bedrijfsgebouwen).

afbeelding "i_NL.IMRO.0847.BP02019008-VS01_0007.png"

Uitsnede kaart 'Achtergrondbelasting geur 2018 (correctie luchtwassers)' (bron: gemeente Someren) 

Deze 'score' maakt dat ook voor het aspect 'achtergrondbelasting wordt voldaan. Hier komt nog bij dat in de gewenste situatie geen sprake is van toevoeging van nieuwe geurgevoelige objecten.

4.6 Endotoxine en gezondheid

Intensieve veehouderijen zorgen voor een uitstoot van fijn stof. Fijn stof afkomstig van stallen met een grootte tussen PM25-PM10 kan onder andere endotoxinen bevatten. Inademing van endotoxinen kan leiden tot ontstekingen van de luchtwegen, chronische bronchitis en vermindering van de longfunctie. Afgelopen jaren is veel onderzoek gedaan naar de relatie tussen veehouderijen, luchtkwaliteit en gezondheid. Op 7 juli 2016 zijn onderzoeksrapporten gepubliceerd waarin wordt aangetoond dat omwonenden rond veehouderijen gezondheidsrisico’s lopen door de blootstelling aan emissies uit veehouderijen.

Het Ondersteuningsteam Veehouderij en Volksgezondheid van het Bestuurlijk Platform Omgevingsrecht heeft de ‘Notitie Handelingsperspectieven Veehouderij en Volksgezondheid: Endotoxine toetsingskader 1.0’ opgesteld. Hiermee wordt aangesloten op de ontwikkeling van het landelijke endotoxinetoetsingskader.
De voorlopige onderzoeksresultaten zijn voor de Gezondheidsraad in 2012 aanleiding geweest om voor de algemene bevolking een gezondheidskundige advieswaarde voor endotoxine van 30 EU/m³ te adviseren. Deze advieswaarde is ook opgenomen in bovengenoemde Notitie Handelingsperspectieven.

Door het Bestuurlijk Platform Omgevingsrecht (waarin GGD, provincie en Omgevingsdiensten verenigd zijn) is de Handreiking veehouderij en volksgezondheid 2.0 opgesteld 'een stappenplan om te beoordelen of nadere advisering vanuit de GGD wenselijk is'. In dit stappenplan is tevens een verwijzing naar de notitie Handelingsperspectieven opgenomen.

In het belang van een goed woon- en leefklimaat geldt als toetsingskader voor de ruimtelijke ordening dat de advieswaarde van 30 EU/m³ niet mag worden overschreden. Hoewel in voorliggend plan geen sprake is van toevoeging van een gevoelige functie, is de kaart Endotoxinecontouren 2018 van de gemeente Someren geraadpleegd voor het plangebied.

afbeelding "i_NL.IMRO.0847.BP02019008-VS01_0008.png"

Uitsnede kaart 'Endotoxinecontouren 2018' (bron: gemeente Someren) 

Uit deze kaart blijkt dat in de binnen of in de directe omgeving van het plangebied geen endotoxinecontouren aanwezig zijn, waar rekening mee gehouden moet worden.

4.7 Bedrijven en milieuzoneringen

Goede ruimtelijke ordening voorziet in het voorkómen van hinder en gevaar. Door bij nieuwe ontwikkelingen voldoende afstand in acht te nemen tussen milieubelastende activiteiten (zoals bedrijven) en gevoelige functies (zoals woningen) kan goede ruimtelijke ordening gerealiseerd worden. Het is aan de ene kant zaak om te voorkomen dat er hinder en gevaar voor gevoelige bestemmingen ontstaat en aan de andere kant dient aan bedrijven voldoende zekerheid te worden geboden dat zij niet in hun activiteiten worden beperkt door nieuwe gevoelige functies. Voor het bepalen van de aan te houden afstanden bestaan richtlijnen en rekenmethodes.

Bij voorliggende ontwikkeling is geen sprake van bestemmingswijzigingen. Voor het plangebied blijven de woonfunctie en agrarische functie (onbebouwd) van kracht. De omgeving van het plangebied wordt gedomineerd door burgerwoningen. Nu geen sprake is van wijzigingen kan geconstateerd worden dat het plan geen invloed heeft op het aspect 'Bedrijven en milieuzonering'.

Met voorliggend plan wordt op de locatie hobbymatige paardenhouderij gefaciliteerd. Dit gebruik is onderdeel van de woonfunctie en past in de landelijke omgeving van Heikantstraat 32. De paardensportactiviteiten blijven ondergeschikt aan de woonfunctie. Daarbij is in de APV (Algemene Plaatselijke Verordening) geregeld dat overlast van (huis-)dieren dient te worden voorkomen. Initiatiefnemers hebben op grond hiervan een zorgplicht naar hun omgeving.

In de (directe) omgeving van het plangebied bevinden zich geen niet-woonfuncties die in het kader van bedrijven en milieuzonering een belemmering (zouden kunnen) opleveren ten aanzien van het plan.

De beoogde herontwikkeling zal een goed woon- en leefklimaat ter plaatse niet in de weg staan en vormt voor wat betreft dit aspect dus geen bezwaar.

4.8 Externe veiligheid

Externe veiligheid betreft het risico dat aan bepaalde activiteiten verbonden is, voor niet bij de activiteit betrokken personen. Het externe veiligheidsbeleid richt zich op het voorkomen en beheersen van risicovolle bedrijfsactiviteiten en van risicovol transport. Het gaat daarbij om de bescherming van individuele burgers en groepen tegen ongevallen met gevaarlijke stoffen of omstandigheden. Daarbij gaat het om de risico's verbonden aan 'risicovolle inrichtingen', waar gevaarlijke stoffen worden geproduceerd, opgeslagen of gebruikt en om het 'vervoer van gevaarlijke stoffen' via wegen, spoorwegen, waterwegen en buisleidingen.

In de (directe) omgeving van het plangebied zijn geen inrichtingen aanwezig, waar activiteiten plaatsvinden waar een externe veiligheidsrisico ontstaat. Ook liggen er in de omgeving geen wegen, spoorwegen of waterwegen die het aspect externe veiligheid negatief beïnvloeden.

Circa 245 meter ten zuidwesten van het plangebied lopen twee gastransportleidingen; de A-521 en de A-585 van de Gasunie.

Binnen de risicocontouren van deze leidingen dienen nieuwe ontwikkelingen met kwetsbare functies getoetst te worden aan het risico.

Wanneer de afstand van de leidingen getoetst wordt:

           
Leiding- nummer   Diameter (m)   Maximale werkdruk (bar)   Afstand tot plangebied (m)   36 kW/m2 = 100% letaliteit   10 kW/m2 = 1% letaliteit  
A-521   914   66,20   245   180   490  
A-585   1067   66,20   245   190   540  

Het plangebied is dan ook gelegen binnen de 1% letaliteitsgrens, zijnde de contour van de motiveringsplicht voor het groepsrisico, indien nieuwe (beperkt) kwetsbare functies worden ontwikkeld.

In het verleden is reeds voor nieuwe ruimtelijke plannen in de directe omgeving van het plangebied een toets aan het groepsrisico uitgevoerd. Bovengenoemde leidingen zijn geregeld in het bestemmingsplan 'Buitengebied 2013'. In de toelichting van dit plan is opgenomen dat het groepsrisico maximaal 0,032 maal de oriëntatiewaarde bedraagt en zich daarmee ruim onder de norm van 0,1 maal de oriëntatiewaarde bevindt.

Het plangebied van voorliggend plan is op significant grotere afstand van de buisleidingen gelegen, dan het plangebied 'Buitengebied 2013'.

Daarbij is er bij voorliggende ontwikkeling geen sprake van bestemmingswijzigingen. Voor het plangebied blijven de woonfunctie en agrarische functie (onbebouwd) van kracht. Binnen deze bestaande functies worden geen nieuwe kwetsbare of beperkt kwetsbare objecten toegevoegd, waardoor de populatie binnen de 1% letaliteitscontour als gevolg van voorliggend plan niet toeneemt.

Ten behoeve van het toekomstige gebruik zal geen sprake zijn van transport of opslag van gevaarlijke stoffen. Het aspect 'externe veiligheid' wordt voor de omgeving dan ook niet negatief beïnvloed door het planvoornemen.

Het aspect 'externe veiligheid' legt geen belemmeringen op aan de gewenste realisatie van een buitenrijbak en longeercirkel voor eigen gebruik.

4.9 Kabels en leidingen

In of nabij het plangebied liggen geen kabels of leidingen, die ten behoeve van het gebruik en/of de veiligheid planologische bescherming behoeven, en daarmee een belemmering voor het planvoornemen betekenen.

4.10 Ecologie

Bij elk ruimtelijk plan moet, met het oog op beschermenswaardige natuurwaarden, rekening worden gehouden met de regelgeving op het gebied van gebiedsbescherming en soortenbescherming. Ten behoeve van de beoogde ontwikkeling is een quickscan flora en fauna uitgevoerd (Quickscan flora en fauna Heikantstraat 32 te Someren. Staro Natuur en Buitengebied, maart 2019). Deze rapportage is opgenomen als Bijlage 7 bij dit plan. Uit de quickscan is, samengevat, het volgende gebleken:

4.10.1 Beschermde gebieden

Natura 2000

Met betrekking tot Natura 2000-gebieden dient getoetst te worden op relevantie en effect van een 20-tal storingsfactoren, te weten stikstofdepositie en 19 overige effecten (geluid, licht, etc.). Dit dient te gebeuren voor het projecteffect en bij bestemmingsplannen ook voor het planeffect, zowel voor de realisatiefase als voor de gebruiksfase. In dit geval is de gebruiksfase bepalend voor de effecten en emissies.

 

Het dichtstbijzijnde Natura 2000-gebied ligt op circa 2,4 km afstand. De relevante stikstofemissiebron zijn in dit geval de verkeersbewegingen van bewoners, bezoekers en leveranciers van de locatie en de emissies vanuit de bestaand woning vanwege verwarming. Op basis van expert judgement is gezien de beperkte omvang van de stikstofemissie, de ligging van het plangebied en de afstand tot Natura 2000-gebied, de verwachting dat dit voornemen geen stikstofdepositie op gevoelige habitattypen veroorzaakt. Significant negatieve effecten zijn daarmee op voorhand uit te sluiten.

 

Dit betekent dat er voor het projecteffect geen vergunningplicht in het kader van de Wet natuurbescherming geldt. Voor het planeffect is de conclusie dat geen passende beoordeling (en daardoor ook geen plan-MER) vanwege stikstofdepositie nodig is. 

Natuur Netwerk Brabant (NNB)

Het plangebied ligt niet binnen en op enige afstand van NNB (op circa 380 meter van Kleine Aa).

Een significante aantasting van en negatieve effecten door externe werking op de wezenlijke kenmerken en waarden van de NNB gezien de aard, de omvang en de afstand van het voornemen, op voorhand uit te sluiten. Een 'Nee, tenzij'-toets of 'Ja, mits'-toets met compensatieplicht is daarmee niet aan de orde.

Natte Natuur Parels

Het plangebied ligt op circa 1,5 km van de Natte Natuur Parel Strabrechtse Heide. Dit is buiten de 500 m attentiezone en omdat het voornemen ook geen invloed op het grondwater heeft, zijn negatieve effecten op de Natte Natuur Parels uitgesloten.

4.10.2 Beschermde soorten

Mogelijk komen in het plangebied soorten voor, die beschermd zijn op grond van de Wet natuurbescherming. In het onderzoek zijn de volgende conclusies getrokken:

  • Het plangebied is geschikt als broed- en foerageergebied voor vogels. De voorgenomen ontwikkeling heeft hierop geen negatieve invloed. Het verwijderen/ snoeien van bomen en struiken dient buiten het broedseizoen uitgevoerd te worden, zodat geen negatieve effecten optreden voor algemeen voorkomende vogelsoorten.
  • Het plangebied is en blijft geschikt als foerageergebied voor vleermuizen. Er is geen sprake van bebouwing die kan dienen als woonruimte voor vleermuizen. Ook zijn er geen doorgaande lijnvormige groenstructuren die kunnen dienen als vliegroute.
  • Het plangebied kan door enkele amfibiesoorten worden gebruikt als landhabitat. In de omgeving blijft voldoende gebied behouden, waardoor geen negatieve effecten optreden. Voor soorten die mogelijk verwond of gedood kunnen worden, geldt een algemene vrijstelling van de verbodsbepalingen van de Wet natuurbescherming in de provincie Noord-Brabant.
    Ook voor kleine zoogdieren kan het plangebied onderdeel van het leefgebied vormen. Voor deze soorten geldt tevens dat er voldoende geschikt gebied aanwezig blijft. Mochten de werkzaamheden leiden tot verstoring of vernietiging van verblijfplaatsen, dan geldt ook hiervoor een algemene vrijstelling.
4.10.3 Terreinbeplanting

In het kader van de planontwikkeling is een inpassingsplan opgesteld, gericht op kwaliteitsverbetering van het landschap. In 4.15 en Bijlage 8 is een beschrijving opgenomen van de nieuwe terreininrichting en beplanting. Bij de realisatie van deze kwaliteitsverbetering wordt de bestaande elzensingel aan de westzijde van het plangebied gekapt. De singel bestaat uit ruim 20 bomen. Zichtbaar is dat de elzen in het verleden één of meerdere malen tot net boven het maaiveld zijn afgezet. De afgelopen jaren zijn de bomen doorgeschoten tot een hoogte van ruim 15 meter.

afbeelding "i_NL.IMRO.0847.BP02019008-VS01_0009.png"

Zicht op (een deel van) de elzensingel aan de westzijde van het plangebied

Vanwege de ligging van het plangebied buiten de bebouwde kom Wet natuurbescherming en omdat de te kappen elzen onderdeel uitmaken van een rij van 20 bomen of meer, is het beschermingsregime Wet natuurbescherming van toepassing. Dit betekent dat er een meldingsplicht- en herplantplicht van toepassing is.

Nu de ingreep valt onder de Wet natuurbescherming en de te kappen bomen niet op de lijst van beschermwaardige bomen en/ of in beschermwaardig gebied op grond van de APV staan, is de APV niet van toepassing.

Verder kent het bestemmingsplan 'Buitengebied Someren' een omgevingsvergunningplicht werken en werkzaamheden voor het verwijderen van landschapselementen (artikel 7.5). In voorliggend plan wordt de ruimtelijke en landschappelijke kwaliteit onder meer vergroot door het vervangen van de bestaande elzensingel aan de westzijde van het plangebied door een gemengde houtsingel. De elzensingel kan beschouwd worden als landschapselement. Nu het niet wenselijk is een extra vergunningplicht op te leggen aan de kap van de betreffende elzen, is in de planregels een specifieke uitzondering gemaakt voor deze singel. Voor het overige zijn landschapselementen overeenkomstig het vigerende plan beschermd door de bestemming 'Agrarisch met waarden - Landschappelijke waarden', waarbij de omgevingsvergunningplicht voor het verwijderen van landschapselementen is gehandhaafd.

Gezien de bovenstaande afweging op diverse aspecten legt het aspect 'ecologie' geen beperkingen op aan de voorgenomen bestemmingsplanherziening. Ten behoeve van de realisatie van het plan worden de benodigde vergunningen en toestemmingen aangevraagd.

4.11 Archeologie

Bij het opstellen en de uitvoering van ruimtelijke plannen moet rekening gehouden worden met bekende archeologische waarden. Het plangebied is op de Archeologische beleidskaart van de gemeente Someren deels aangeduid als categorie 3 en deels als categorie 4. Hier bestaat een archeologische onderzoeksplicht in geval de bodem dieper dan 40 cm wordt verstoord en het verstoringsoppervlak groter is dan 250 m².

afbeelding "i_NL.IMRO.0847.BP02019008-VS01_0010.png"

Archeologische beleidskaart gemeente Someren

De beoogde ontwikkeling bestaat uit een buitenrijbak en longeerbak. Deze voorzieningen worden deels geplaatst op gronden die in de huidige situatie bebouwd zijn met voormalige agrarische bedrijfsgebouwen en waar de bodem dus al geroerd is. Daarbij zal voor de aanleg van de rijbaan en longeerbak grondverbetering plaatsvinden, maar niet dieper dan 40 cm.

Het aspect archeologie legt dan ook geen verdere beperkingen op aan de planontwikkeling. Wel wordt de archeologische dubbelbestemming behouden voor de gronden. Hiermee wordt er zorg voor gedragen dat ook bij eventueel toekomstige bodemverstoringen het aspect 'archeologie' in acht genomen wordt.

4.12 Waterparagraaf

4.12.1 Watertoets

Het doel van de watertoets is om water een uitgesproken en inhoudelijk betere plaats te geven bij het opstellen en beoordelen van alle waterhuishoudkundig relevante plannen. De watertoets vraagt niet alleen een beschrijving van de waterhuishoudkundige situatie en de invloed die de voorgestane ruimtelijke ontwikkelingen hebben, maar ook een vroegtijdig overleg met waterbeheerders.

Het planvoornemen wordt in het kader van de Watertoets voorgelegd aan het watertoetsloket van het Waterschap Aa en Maas. De reactie van het waterschap zal in het bestemmingsplan worden opgenomen.

4.12.2 Waterhuishoudkundige situatie

Binnen of in de directe omgeving van het plangebied is geen (primaire) waterloop aanwezig.

4.12.3 Invloed van het planvoornemen

Het planvoornemen gaat gepaard met sloop van 726 m2 voormalige agrarische bedrijfsgebouwen. Wel worden een buitenrijbak en longeerbak gerealiseerd. Deze nieuwe voorzieningen worden uitgerust met een zandbodem, waardoor hemelwaterinfiltratie ter plaatse mogelijk blijft.

Over een oppervlakte van meer dan 726 m2 kan het hemelwater in de toekomst infiltreren, waar dat tot heden onmogelijk was. Met het plan wordt dan ook een zeer positieve bijdrage geleverd aan het (grond-)watersysteem ter plaatse van het plangebied en in de omgeving.

Wanneer in de toekomst op de locatie nieuwe bebouwing wordt opgericht, zoals de beoogde garage, dient overeenkomstig de omvang van de nieuwbouw voorzien te worden in infiltratievoorzieningen. Voor de beoogde garage zal sprake zijn van een infiltratievoorziening van 60 mm op eigen terrein.

4.13 Verkeer en parkeren

In de huidige situatie bestaan de verkeersbewegingen uit het personenvervoer ten dienste van de bestaande burgerwoning. In het verleden, toen ter plaatse een agrarisch bedrijf geëxploiteerd werd, lag het aantal verkeersbewegingen op de locatie hoger.

De ontsluiting vindt plaats via de Heikantstraat. Deze weg is relatief smal. De weg is niet voorzien van specifieke voorzieningen ten dienste van langzaamverkeer (zoals fietsstroken of trottoirs).

Op dit moment is er aan weerszijden van de woning Heikantstraat 32 een inrit aanwezig. Daarnaast is een 3e inrit aanwezig aan de westzijde van het perceel, nabij de te slopen voormalige bedrijfsgebouwen. Deze inrit ontsluit tevens de achterliggende agrarische gronden.

Na voorliggende planwijziging en realisatie van de gewenste ontwikkeling zullen de verkeersbewegingen nog altijd bestaan uit het personenvervoer ten dienste van één burgerwoning. Door het gebruik van de locatie voor hobbymatige paardenhouderij zal het aantal transportbewegingen met aanhangwagens vermoedelijk iets toenemen. Initiatiefnemers zullen in de toekomst regelmatig met één of meerdere van hun paarden een wedstrijd of ander evenement buiten de eigen locatie bezoeken. Deze verkeersbewegingen vormen een onderdeel van de woonfunctie, zeker in het landelijk gebied.
In de CROW-publicatie 'Toekomstbestendig parkeren' (december 2018) wordt voor vrijstaande koopwoningen in het buitengebied een maximaal parkeerkencijfer van 2,8 gehanteerd en een verkeersgeneratie van 8,6 bewegingen per weekdagetmaal. Hierbij is uitgegaan van woningen in het buitengebied in niet stedelijk gebied, waarin een groter aantal voertuigbewegingen voor bijvoorbeeld winkelen en sporten reeds verrekend zijn (vergelijk: 7,5 bewegingen voor een tussen/ hoekwoning (koop) in de bebouwde kom in matig tot sterk stedelijk gebied).
Naast alle andere verkeersbewegingen die een gevolg zijn van bewoning van een locatie, is in het plangebied sprake van een afwijkende component; de verkeersbewegingen als onderdeel van de recreatieve paardensport. Naast het vervoer van paarden voor bijvoorbeeld wedstrijden zal sprake zijn van aanvoer van voer (krachtvoer en ruwvoer) en stalbedekking (stro of anderszins). Van de locatie zal mest worden afgevoerd. De extra verkeersbewegingen vanwege bezoek van bijvoorbeeld dierenarts of hoefsmid zijn bij een hobbymatige paardenhouderij met maximaal 5 paarden te verwaarlozen.
Naar verwachting wordt de stalbedekking enkele malen per jaar, na het oogstseizoen, in grote hoeveelheid aangeleverd. Uitgegaan kan worden van maximaal 4 vrachten per jaar. Het krachtvoer vormt onderdeel van de 'huishoudelijke' boodschappen van initiatiefnemers en zorgt daarmee niet voor aanvullende vervoersbewegingen.

De afvoer van mest vindt door initiatiefnemer met een aanhangwagen plaats, en zal naar verwachting 2 keer per maand aan de orde zijn. Een deel van de stalmest wordt ook benut voor de bemesting van het eigen land.

Gezien het bovenstaande kan voor de locatie worden uitgegaan van maximaal 10 verkeersbewegingen per etmaal.

De impact van de verkeersbewegingen zal dan ook vergelijkbaar zijn met de huidige intensiteiten.

Op het terrein wordt zorg gedragen voor voldoende parkeergelegenheid, zodat geen (extra) parkeerdruk op het openbaar gebied ontstaat. Op het perceel is voldoende ruimte voor realisatie van een garage en het creëren van een verharding, waar geparkeerd kan worden. De ontsluiting van de paardensportvoorzieningen en achterliggende gronden zal plaatsvinden via de middelste en meest westelijke inrit. Op eigen terrein, voor en ten westen van de stal is voldoende ruimte aanwezig voor het manoeuvreren met auto en aanhangwagen. Aan de westzijde van de woning zullen uitsluitend de gronden aan de straatzijde en direct grenzend aan de stal worden ingericht voor gemotoriseerd verkeer. De overige gronden worden afgescheiden door beplanting.
Ten oosten van de woning wordt op termijn (mogelijk) een bijgebouw bij de woning gerealiseerd. Uiteraard wordt dit bijgebouw eveneens via ontsluiting (verharding) bereikbaar gemaakt vanaf de Heikantstraat. Hiertoe zal de bestaande inrit aan de oostzijde van de woning ingezet worden.

Met de realisatie van een garage en inzet van verharding voorziet de locatie in ten minste 5 parkeerplaatsen (buiten, dan wel overdekt). Hiermee wordt ruimschoots voldaan aan de parkeernorm. Ook is er hiermee voldoende ruimte voor het stallen van een aanhangwagen of trailer. Mogelijk zal hiervoor tevens een deel van de te handhaven stal worden benut.

Nu het aantal verkeersbewegingen niet significant toeneemt en het parkeren en manoeuvreren geheel op eigen terrein kan plaatsvinden, zal de nieuwe situatie niet zorgen voor verslechtering van de verkeersveiligheid of verkeersafwikkeling ter plaatse. Voor de toegang tot het perceel worden de bestaande inritten benut. Deze zijn nu onderdeel van de woonfunctie en maakten eerder onderdeel uit van de agrarische bedrijfsvoering. Vanuit het verleden zijn deze dan ook gedimensioneerd op zwaar verkeer.

4.14 Milieueffectrapportage

In de Wet milieubeheer en het Besluit milieueffectrapportage is vastgelegd dat, voorafgaande aan een besluit of plan dat voorziet in een project met belangrijke nadelige milieugevolgen, een milieueffectrapport opgesteld dient te worden. In het Besluit milieueffectrapportage is bepaald voor welke ontwikkelingen een m.e.r. verplicht is. Een milieueffectrapportage (m.e.r.) is verplicht voor besluiten van de overheid over initiatieven van particulieren of marktpartijen, zoals bij de bouw van ‘woonwijken’ de aanleg van auto(snel)wegen, spoorwegen, vliegvelden, pijpleidingen voor gas of olie en (stuw)dammen.

Een m.e.r. kan ook verplicht zijn voor plannen van de overheid, zoals een bestemmingsplan. Ingevolge het Besluit milieueffectrapportage (Besluit m.e.r.) wordt getoetst of het bestemmingsplan voorziet in, of een kader vormt voor, activiteiten die (mogelijk) belangrijke nadelige gevolgen kunnen hebben voor het milieu. Hiervoor zijn in de bijlage bij het Besluit m.e.r. lijsten opgenomen waarin activiteiten zijn aangewezen die belangrijke nadelige gevolgen kunnen hebben voor het milieu (lijst C) of ten aanzien waarvan het bevoegd gezag moet beoordelen of zij belangrijke nadelige gevolgen voor het milieu kunnen hebben (lijst D).
In de lijsten zijn drempelwaarden opgenomen.

Het planvoornemen heeft betrekking op enkele voorzieningen ten dienste van de hobbymatige paardenhouderij, waarbij maximaal 5 paarden worden gehouden. Bij een (bedrijfsmatige) paardenhouderij dient vanaf 50 paarden een aanmeldnotitie te worden ingediend en vanaf 100 paarden is een volledige MER verplicht. De aangevraagde activiteit valt niet onder onderdeel C en ook niet onder onderdeel D van de bijlage van het Besluit milieueffectrapportage.

De procedure voor vormvrije-mer beoordelingen is opgenomen in het gewijzigde Besluit m.e.r. (in werking sinds 7 juli 2017). In het Besluit m.e.r. staan alle activiteiten opgenomen waarvoor een milieueffectrapportage (MER), aanmeldingsnotitie of vormvrije-mer noodzakelijk is. In deze mer-beoordeling worden de gevolgen van het plan/ initiatief op de omgeving in beeld gebracht.

Op grond van een uitspraak van het Europese Hof d.d. 15 oktober 2009 en het daarop per 1 april 2011 aangepaste Besluit milieueffectrapportage geldt dat de omvang van het project niet het enig criterium mag zijn om te bepalen of een MER nodig is. Ook als een project onder de drempelwaarde uit lijst C en D, zoals opgenomen in de bijlage behorende bij het Besluit milieueffectrapportage blijft, kan een project immers nadelige gevolgen voor het milieu hebben. Wanneer een project beneden de drempelwaarde ligt, zoals opgenomen in het Besluit m.e.r., dient een vormvrije m.e.r.-beoordeling plaats te vinden.

Allereerst is bezien, of de beoogde activiteit binnen het plangebied, een burgerwoning met enkele voorzieningen voor hobbymatige paardenhouderij, is opgenomen in de lijsten C en/ of D. Uitsluitend categorie D-14 vertoont enkele overeenkomsten met het voorgenomen gebruik: "de oprichting, wijziging of uitbreiding van een installatie voor het fokken, mesten of houden van dieren". In onderdeel 'A. Begripsbepaling' van de Bijlage behorende bij het Besluit milieueffectrapportage is het begrip 'installatie' gedefinieerd. Het gaat hier om: "één of meer installaties binnen een inrichting voor zover het de activiteit betreft als bedoeld in kolom 1 van de onderdelen C en D". De categorie heeft dan ook betrekking op bedrijfsmatige activiteiten; inrichtingen.

Voor de voorgenomen ontwikkeling van enkele voorzieningen ten behoeve van de hobbymatige paardenhouderij bij de bestaande burgerwoning Heikantstraat 32 is het Besluit milieueffectrapportage niet van toepassing. Een milieueffectrapportage (MER), aanmeldingsnotitie of vormvrije-mer is dan ook niet noodzakelijk.

4.15 Landschappelijke inpassing en kwaliteitsverbeterig

Voor de locatie is een landschappelijk inpassingsplan opgesteld, in lijn met de uitgangspunten van het gemeentelijk beeldkwaliteitsplan. In het inpassingsplan wordt uitgegaan van het benutten van de bestaande (groene) kwaliteiten en aanvullen met gebiedseigen beplanting. Het plan is opgenomen als Bijlage 8 bij deze toelichting (Landschappelijke inrichting Heikantstraat 32, Someren; Pouderoyen compagnons - 3 juni 2019).

Naast de realisatie van deze landschappelijke inpassing door completering van de hagen aan de voorzijde en aanplant van een houtsingel aan de achterzijde wordt op de locatie een grote kwaliteitswinst bereikt door de sloop van 726 m2 verouderde agrarische bedrijfsgebouwen. Met de sloop wordt het gebied ontdaan van verouderde, ontsierende bebouwing, en wordt de beleving van de openheid van het landschap ter plaatse aanzienlijk verstrekt. Ook deze sloop is vastgelegd in het inpassingsplan en op deze manier onderdeel van de voorwaardelijke verplichting uit de planregels.

Hoofdstuk 5 Juridische opzet

5.1 Algemeen

Op basis van de Wet ruimtelijke ordening bepaalt een drietal zaken de opzet en inrichting van de bestemmingsplanregels, te weten:

  • de digitale raadpleegbaarheid;
  • de Standaard Vergelijkbare BestemmingsPlannen 2012 (SVBP 2012);
  • de Woningwet.

Bij het opstellen van de inhoud van de regels is zoveel mogelijk aangesloten bij de systematiek zoals gehanteerd bij het vigerende bestemmingsplan 'Buitengebied deelgebied I Someren' van de gemeente Someren.

De structuur van het plan is zodanig dat de verbeelding de primaire informatie geeft over waar en hoe gebouwd mag worden. Bij het raadplegen van het bestemmingsplan dient dan ook eerst naar de verbeelding gekeken te worden. Vervolgens kan in de regels teruggelezen worden welk gebruik en welke bouwmogelijkheden zijn toegestaan.

5.2 De verbeelding

Op de verbeelding zijn aangegeven:

  • de grenzen van het plangebied;
  • de gronden, bestemd als 'Wonen';
  • de gronden, bestemd als 'Agrarisch met waarden - Landschappelijke waarden';
  • de dubbelbestemming 'Waarde - Archeologie 3';
  • de dubbelbestemming 'Waarde - Archeologie 4';
  • de aanduidingen.

5.3 De regels

De regels zijn conform de SVBP 2012 en de Wet algemene bepalingen omgevingsrecht (Wabo) als volgt opgebouwd:

  • inleidende regels;
  • bestemmingsregels;
  • algemene regels;
  • overgangs- en slotregels.

Bestemming Wonen

Gebruik

De gronden met de bestemming 'Wonen' zijn bedoeld voor de woonfunctie. In de regels is bepaald dat binnen deze bestemming maximaal 1 woning aanwezig mag zijn. Als nevenfunctie bij het wonen zijn aan huis verbonden beroepen toegelaten. Ook bijbehorende voorzieningen zoals tuinen, verharding en watervoorzieningen zijn toegelaten binnen de woonfunctie.

De gronden zijn tevens bestemd voor behoud en bescherming van archeologische waarden, deze dubbelbestemming is opgenomen voor het hele plangebied.

Bouwen

Binnen het aangegeven bouwvlak zijn hoofdgebouwen (woningen) toegestaan. Niet het hele bouwvlak mag worden bebouwd. Onder voorwaarden is herbouw van de woning of oprichting van bijgebouwen mogelijk. In de regels is een maximale inhoud voor de woning opgenomen. Ook is hier bepaald dat ter plaatse uitsluitend een vrijstaande woning aanwezig mag zijn. De maximale goot- en bouwhoogtes van de woning en bijgebouwen zijn tevens aangegeven in de regels. Voor bijgebouwen zijn daarnaast de maximale oppervlakte en ligging ten opzichte van het hoofdgebouw bepaald.

Binnen de bestemming 'Wonen' is een longeerbak als bouwwerk, geen gebouw zijnde, toegelaten.

De dubbelbestemmingen 'Waarde - Archeologie 3' en 'Waarde - Archeologie 4' leggen beperkingen op aan de rechtstreekse bouwmogelijkheden voor de gronden om de mogelijk aanwezige archeologische waarden te beschermen.

Bestemming 'Agrarisch met waarden - Landschappelijke waarden'

Gebruik

Het gebruik van de gronden, bestemd als 'Agrarisch met waarden - Landschappelijke waarden' dient geënt te zijn op al dan niet bedrijfsmatig agrarische productie. Daarnaast staat behoud, herstel en/ of ontwikkeling van de landschappelijke waarden centraal. Ook extensief recreatief medegebruik, groenvoorzieningen en water en waterhuishoudkundige voorzieningen zijn binnen deze bestemming rechtstreeks toegelaten.
Ook deze gronden zijn tevens bestemd voor behoud en bescherming van archeologische waarden middels dubbelbestemmingen.

Bouwen

Binnen deze bestemming mogen uitsluitend bouwwerken, geen gebouwen zijnde, worden gebouwd, die ten dienste staan van de bestemming. De hoogte mag maximaal 2,50 m¹ zijn. Daarbij zijn een aantal typen bouwwerken uitgesloten; overkappingen, permanente teeltondersteunende voorzieningen, mest- en voerplaten, (sleuf-)silo’s, mestopslagsilo’s en vergelijkbare voorzieningen.

Aan de gronden is tevens de aanduiding 'rijbak - rbk' toegekend. De regels bieden voor deze gronden de mogelijkheid voor het realiseren van een buitenrijbak ten behoeve van recreatieve paardensport. In de planregels is bepaald dat binnen het agrarisch gebied met deze aanduiding een buitenrijbak van 800 m2 met omheining, maar zonder verlichting, aanwezig mag zijn voor hobbymatig gebruik.

Aanduiding 'specifieke vorm van groen - landschappelijke inpassing'

Aan delen van het plangebied, zowel binnen de bestemming 'Wonen' als de bestemming 'Agrarisch met waarden - landschappelijke waarden' is de aanduiding 'specifieke vorm van groen - landschappelijke inpassing' toegekend.

Met deze aanduiding is de landschappelijke inpassing van de locatie verankerd, zoals nader toegelicht in 4.15.

Aanduiding 'specifieke vorm van wonen - bodemkwaliteit'

Aan delen van het plangebied, zowel binnen de bestemming 'Wonen' als de bestemming 'Agrarisch met waarden - landschappelijke waarden' is de aanduiding 'specifieke vorm van wonen - bodemkwaliteit' toegekend.

Met deze aanduiding is de, vanwege de plaatselijk aanwezige bodemkwaliteit, benodigde sanering van de aangeduide gronden verankerd, zoals nader toegelicht in 4.2.

Hoofdstuk 6 Uitvoerbaarheid

6.1 Economische haalbaarheid

De kosten van het planvoornemen worden geheel gedragen wordt door de initiatiefnemer. Dit wordt geregeld middels een anterieure overeenkomst. Voor de gemeente Someren zelf zijn er geen kosten verbonden aan de verwezenlijking van het plan. Er is verder geen sprake van op de initiatiefnemer te verhalen kosten.

Op grond van het voorgaande kan worden geconcludeerd dat de economische en financiële uitvoerbaarheid van het planvoornemen voldoende is gegarandeerd.

6.2 Maatschappellijke haalbaarheid

Het planvoornemen betreft de sloop van voormalige agrarische bebouwing en realisatie van enkele voorzieningen ten behoeve van recreatieve paardensport bij een bestaande burgerwoning. In onderhavige toelichting is aangetoond dat er geen onevenredig negatieve gevolgen zijn voor de ruimtelijke kwaliteit ter plaatse. Als gevolg van de voorgenomen sloop neemt de ruimtelijke kwaliteit in het gebied toe. Ook is de ontwikkeling positief voor het watersysteem (infiltratiemogelijkheden) en de landschappelijke kwaliteit en biodiversiteit (inpassing). Het planvoornemen leidt dan ook niet tot overwegende planologische bezwaren.

Het bestemmingsplan wordt conform de gebruikelijke procedure gedurende zes weken ter inzage gelegd. Gedurende deze termijn kan een ieder reageren op het planvoornemen en zijn of haar zienswijzen indienen.

6.3 Planschade

In de tussen de gemeente en de initiatiefnemer te ondertekenen overeenkomst wordt bepaald dat eventueel te honoreren planschades voor rekening komen van de initiatiefnemers.

6.4 Conclusie

Het planvoornemen zal gezien het bovenstaande niet leiden tot overwegende planologische bezwaren. De bestemmingswijziging betekent, na een afweging van de verschillende belangen, een aanvaardbare invulling van het plangebied.

Hoofdstuk 7 Procedure

7.1 De te volgen procedure

Het bestemmingsplan doorloopt de volgende procedure:

a. Ontwerp:

Publicatie en terinzagelegging overeenkomstig afdeling 3.4 Awb en Wro 

Een ieder kan gedurende deze terinzagelegging een zienswijze indienen bij de gemeenteraad

b. Vaststelling:

Vaststelling door de gemeenteraad

Mogelijkheid reactieve aanwijzing

Publicatie en terinzagelegging vastgesteld bestemmingsplan gedurende de beroepstermijn

c. Inwerkingtreding:

Na afloop van de beroepstermijn (tenzij binnen de beroepstermijn een verzoek om voorlopige voorziening wordt gedaan)

d. Beroep:

Beroep bij Afdeling bestuursrechtspraak van de Raad van State

In het kader van deze procedure is het voor eenieder mogelijk om zijn/ haar zienswijze (bij de gemeenteraad) kenbaar te maken. In publicaties met betrekking tot de diverse stappen die het plan moet doorlopen wordt daarvan steeds melding gemaakt. Wanneer beroep wordt ingesteld, beslist uiteindelijk c.q. in hoogste instantie, de Afdeling bestuursrechtspraak van de Raad van State over het bestemmingsplan.

7.2 Vooroverleg

Het voorontwerpbestemmingsplan is in het kader van het wettelijk vooroverleg, conform artikel 3.1. Bro, toegezonden aan de provincie Noord-Brabant en het Waterschap De Dommel. Zowel de provincie en het waterschap hebben een reactie gegeven op het plan. Deze reacties zijn hierna kort samengevat en voorzien van een gemeentelijk standpunt.

Provincie Noord-Brabant (d.d. 26 september 2019)

Door de provincie wordt aangegeven dat het bestemmingsplan in grote lijnen voldoet aan het provinciale beleid. Voor het vergroten van het bestemmingsvlak van de bestemming 'Wonen' wordt in de toelichting een verantwoording dan wel berekening van de kwaliteitsverbetering van het landschap gemist. In de door de gemeente Someren vastgestelde LIR valt het vergroten van de woonbestemming onder categorie 3 van de LIR. Daarin is aangegeven dat dit een waardevermeerdering van € 60,-- per m2 met zich meebrengt. Het bestemmingsvlak van de woonbestemming wordt vergroot met 1.300 m2 ten opzichte van het vigerende bestemmingsplan. De provincie ziet graag een verantwoording terug van de kwaliteitsverbetering die met deze categorie 3 ontwikkeling gepaard gaat.

Gemeentelijk standpunt

In de toelichting van het bestemmingsplan (paragraaf 3.4.4) wordt een nadere verantwoording dan wel berekening van de kwaliteitsverbetering van het landschap in het kader van de LIR opgenomen.

Waterschap De Dommel

Het waterschap kan instemmen met het bestemmingsplan in het kader van de watertoetsprocedure. Door de afname van het verhard oppervlak is er sprake van een hydrologisch positief plan.

Wel vraagt het waterschap aandacht voor het niet te diep aanleggen van de drainage ten behoeve van de rijbak (eb/vloed voorziening). Deze mag zeker niet dieper als de Gemiddelde Hoogste Grondwaterstand (GHG), zijnde 80 cm onder maaiveld, worden aangelegd. Het drainagewater dient op eigen perceel te worden geïnfiltreerd of minstens niet onvertraagd af te voeren richting oppervlaktewater. Voor het inbrengen van water moet nagegaan worden of hiervoor een duurzame oplossing kan worden gevonden, zoals hergebruik van hemelwater.

Gemeentelijk standpunt

Dat het waterschap kan instemmen met het bestemmingsplan en sprake is van een hydrologisch positief plan wordt voor kennisgeving aangenomen.

Ten aanzien van de aandachtspunten van het waterschap kan aangegeven worden dat de drainageslangen op maximaal 40 cm onder maaiveld komen te liggen. Met betrekking tot de waterhuishouding in de rijbak is initiatiefnemer nog in gesprek met meerdere partijen voor de aanleg van de rijbak. Per partij worden er verschillende systemen gehanteerd voor de watervoorziening. De aanbevelingen van het waterschap worden ter harte genomen om te trachten het aan- en afvoeren van het water te doen met hemelwater. Er wordt dan een gesloten systeem gecreëerd waarbij overtollig water terug gepompt wordt in een tank. Op het moment van waterbehoefte wordt het water dan weer uit deze tank onttrokken.

7.3 Vaststelling

Het ontwerpbestemmingsplan heeft vanaf 31 januari 2020 tot en met 12 maart 2020, gedurende zes weken, ter inzage gelegen. Tijdens deze periode is een ieder in de gelegenheid gesteld om zijn of haar zienswijze kenbaar te maken. Hiervan is geen gebruik gemaakt. Er zijn geen zienswijzen naar aanleiding van de terinzagelegging van het ontwerpbestemmingsplan ontvangen. Het bestemmingsplan is dan ook ongewijzigd vastgesteld in de raadsvergadering van 4 juni 2020.